- Город
- Администрация
- Глава муниципального образования «Городской округ город Астрахань»
- Структура администрации
- Управление информационной политики администрации муниципального образования "Город Астрахань"
- Деятельность управления
- Жилищное управление
- Информация для УК и ТСЖ
- Информация для уполномоченных на решение задач в области ГОЧС
- Информация и объявления
- Методические рекомендации
- Отдел мобилизационной подготовки
- Отдел по гражданской обороне и черезвычайным ситуациям
- Отдел по организации и проведению оценки технического состояния зданий, строений, сооружений и деятельности комиссий
- Отчет за год
- Правовое управление
- Проекты муниципальных правовых актов в области ГОЧС
- Управление бухгалтерского учета и отчетности
- Управление внутреннего муниципального финансового контроля администрации города
- Управление делами
- Управление дорожного хозяйства и транспорта администрации муниципального образования "Городской округ город Астрахань"
- Управление земельными ресурсами
- Управление земельными ресурсами
- Управление контроля и документооборота
- Управление культуры
- Управление муниципального имущества
- Управление муниципального контроля
- Управление муниципальной службы и кадров
- Управление муниципальных закупок и торгов
- Управление образования
- Управление по архитектуре и градостроительству
- Управление по капитальному строительству администрации муниципального образования «Город Астрахань»
- Управление по коммунальному хозяйству и благоустройству
- Управление по связям с общественностью
- Управление по стратегическому развитию и экономическому анализу
- Управление торговли и поддержки предпринимательства администрации муниципального образования "Городской округ город Астрахань"
- Антимонопольный комплаенс
- Выдача, предоставление, продление срока действия разрешения на право организации розничного рынка на территории МО «ГОГА»
- Контакты управления
- Новости
- Отдел регулирования торговой деятельности
- Блок-схема по процедуре получения разрешения на размещение НТО на территории МО «Городской округ город Астрахань»
- Внимание! Смена реквизитов по оплате в рамках договоров на размещение НТО
- Инструкция по участию в электронном аукционе на право размещения НТО на территории МО "Город Астрахань"
- Реестр рынков на территории МО "Городской округ город Астрахань"
- Реестр ярмарок, организованных на территории МО "Городской округ город Астрахань"
- Схема размещения нестационарных торговых объектов на территории МО "Город Астрахань"
- Реестр сезонных (летних) кафе, размещенных на территории муниципального образования "Городской округ город Астрахань"
- Типовые архитектурно-художественные решения внешнего вида нестационарных торговых объектов на территории МО "Город Астрахань"
- Выдача, предоставление, продление срока действия разрешения на право организации розничного рынка на территории МО «ГОГА»
- Контакты
- Нормативные документы отдела
- Объявления
- Блок-схема по процедуре получения разрешения на размещение НТО на территории МО «Городской округ город Астрахань»
- Отчет о деятельности управления
- Оценка регулирующего воздействия
- Положение о работе управления
- Противодействие коррупции
- Реестр ярмарок, организованных на территории МО "Городской округ город Астрахань"
- Реестры мини-ярмарок "Зеленые ряды" и сельскохозяйственных площадок
- Структура управления
- Отдел поддержки предпринимательства
- Управление транспорта и пассажирских перевозок
- Управление экономического развития администрации муниципального образования "Городской округ город Астрахань"
- Финансово-казначейское управление
- Это надо знать!
- Муниципальные предприятия и учреждения
- Комиссии
- Отчеты администрации
- Положение об администрации
- Руководители
- Полномочия главы муниципального образования "Городской округ город Астрахань"
- Доклады по оценке эффективности ОМСУ
- Официально
- Информация
- Обращения граждан
- Интернет-приемная
- Контакты
Тема
Ленинский район (-)
СХЕМА
РАЗМЕЩЕНИЯ НЕСТАЦИОНАРНЫХ ТОРГОВЫХ ОБЪЕКТОВ НА ТЕРРИТОРИИ
МУНИЦИПАЛЬНОГО ОБРАЗОВАНИЯ "ГОРОДСКОЙ ОКРУГ ГОРОД АСТРАХАНЬ"
по состоянию на 15 октября 2024 года
РАЗДЕЛ 1
Нестационарные торговые объекты, расположенные на земельных участках, в зданиях и сооружениях, находящихся в муниципальной собственности, а также земельных
участках, строениях, сооружениях, государственная
собственность на которые не разграничена
ЛЕНИНСКИЙ РАЙОН
|
№ |
Адрес нестационарного торгового объекта |
Вид нестационарного торгового объекта |
Специализация нестационарного торгового объекта |
Период размещения нестационарного торгового объекта |
Наименование и адрес регистрации хозяйствующего субъекта (юр.лицо, ИП) |
||
|
Реализация кваса |
|||||||
|
Л-с-1
|
ул. Ботвина, 10 |
квасной аппарат не более 2 кв.м. |
реализация кваса |
круглогодично с периодом функционирования весна - осень |
|
||
|
Л-с-2
|
ул. Ботвина, 26 |
квасной аппарат не более 2 кв.м. |
реализация кваса |
круглогодично с периодом функционирования весна - осень |
|||
|
Л-с-3
|
ул. Савушкина, 2 |
квасной аппарат не более 2 кв.м. |
реализация кваса |
круглогодично с периодом функционирования весна - осень |
|||
|
Л-с-4 |
ул. Савушкина, 2 "г" |
квасной аппарат не более 2 кв.м. |
реализация кваса |
круглогодично с периодом функционирования весна - осень |
|||
|
Л-с-5
|
ул. Савушкина, 8 |
квасной аппарат не более 2 кв.м. |
реализация кваса |
круглогодично с периодом функционирования весна - осень |
|||
|
Л-с-6 |
ул. Савушкина, 23 |
квасной аппарат не более 2 кв.м. |
реализация кваса |
круглогодично с периодом функционирования весна - осень |
|
||
|
Л-с-7 |
ул. Савушкина, 44 "г" /Анри Барбюса |
квасной аппарат не более 2 кв.м. |
реализация кваса |
круглогодично с периодом функционирования весна - осень |
|||
|
Л-с-8 |
ул. Савушкина /Ак. Королева |
квасной аппарат не более 2 кв.м. |
реализация кваса |
круглогодично с периодом функционирования весна - осень |
|||
|
Л-с-9 |
ул. Савушкина, 45 (рег. Палата) |
квасной аппарат не более 2 кв.м. |
реализация кваса |
круглогодично с периодом функционирования весна - осень |
|
||
|
Л-с-10 |
ул. Савушкина, 46 |
квасной аппарат не более 2 кв.м. |
реализация кваса |
круглогодично с периодом функционирования весна - осень |
|
||
|
Л-с-11 |
ул. Савушкина, 47 "б" |
квасной аппарат не более 2 кв.м. |
реализация кваса |
круглогодично с периодом функционирования весна - осень |
|
||
|
Л-с-12 |
ул. 28-йАрмии, 8 "б" |
квасной аппарат не более 2 кв.м. |
реализация кваса |
круглогодично с периодом функционирования весна - осень |
|
||
|
Л-с-13 |
пл. Вокзальная, 1 |
квасной аппарат не более 2 кв.м. |
реализация кваса |
круглогодично с периодом функционирования весна - осень |
|||
|
Л-с-14
|
пл. Вокзальная, 11 |
квасной аппарат не более 2 кв.м. |
реализация кваса |
круглогодично с периодом функционирования весна - осень |
|
||
|
Л-с-15 |
пл. Вокзальная, 20 "б" (Евросеть) |
квасной аппарат не более 2 кв.м. |
реализация кваса |
круглогодично с периодом функционирования весна - осень |
|
||
|
Л-с-16
|
ул. Яблочкова, 1 "в" |
квасной аппарат не более 2 кв.м. |
реализация кваса |
круглогодично с периодом функционирования весна - осень |
|||
|
Л-с-17 |
ул. Яблочкова/Маркина (ост. общественного транспорта "Маркина") |
квасной аппарат не более 2 кв.м. |
реализация кваса |
круглогодично с периодом функционирования весна - осень |
|||
|
Л-с-18 |
ул. Яблочкова /Б. Алексеева (ост. "Школа № 4") |
квасной аппарат не более 2 кв.м. |
реализация кваса |
круглогодично с периодом функционирования весна - осень |
|||
|
Л-с-19
|
ул. Яблочкова, 23 "а" |
квасной аппарат не более 2 кв.м. |
реализация кваса |
круглогодично с периодом функционирования весна - осень |
|
||
|
Л-с-20 |
ул. Яблочкова, 31 (у пешеходного перехода) |
квасной аппарат не более 2 кв.м. |
реализация кваса |
круглогодично с периодом функционирования весна - осень |
|||
|
Л-с-21 |
ул. Яблочкова, 36/Б. Алексеева |
квасной аппарат не более 2 кв.м. |
реализация кваса |
круглогодично с периодом функционирования весна - осень |
|||
|
Л-с-22 |
ул. Анри Барбюса, 9 "б" (ост. ж/д вокзал) |
квасной аппарат не более 2 кв.м. |
реализация кваса |
круглогодично с периодом функционирования весна - осень |
|||
|
Л-с-23 |
ул. Анри Барбюса, 17 "г" |
квасной аппарат не более 2 кв.м. |
реализация кваса |
круглогодично с периодом функционирования весна - осень |
|
||
|
Л-с-24 |
ул. Анри Барбюса, 27 "в" |
квасной аппарат не более 2 кв.м. |
реализация кваса |
круглогодично с периодом функционирования весна - осень |
|
||
|
Л-с-25
|
ул. Беринга, 1 "п" |
квасной аппарат не более 2 кв.м. |
реализация кваса |
круглогодично с периодом функционирования весна - осень |
|||
|
Л-с-26 |
ул. Куйбышева, 103 (переправа на пляж) |
квасной аппарат не более 2 кв.м. |
реализация кваса |
круглогодично с периодом функционирования весна - осень |
|||
|
Л-с-27
|
ул. Куйбышева, 112 |
квасной аппарат не более 2 кв.м. |
реализация кваса |
круглогодично с периодом функционирования весна - осень |
|||
|
Л-с-28
|
ул. Красноармейская (за ж/д вокзалом) |
квасной аппарат не более 2 кв.м. |
реализация кваса |
круглогодично с периодом функционирования весна - осень |
|||
|
Л-с-29
|
ул. Красноармейская 35 "а" |
квасной аппарат не более 2 кв.м. |
реализация кваса |
круглогодично с периодом функционирования весна - осень |
|||
|
Л-с-30 |
ул. Татищева, 2 (район больницы) |
квасной аппарат не более 2 кв.м. |
реализация кваса |
круглогодично с периодом функционирования весна - осень |
|
||
|
Л-с-31
|
ул. Косм. В. Комарова, 65 "г" |
квасной аппарат не более 2 кв.м. |
реализация кваса |
круглогодично с периодом функционирования весна - осень |
|||
|
Л-с-32 |
ул. Славянская, 25 (проходная рынка "Славянский") |
квасной аппарат не более 2 кв.м. |
реализация кваса |
круглогодично с периодом функционирования весна - осень |
|||
|
Л-с-33 |
ул. Рыбинская, 12 |
квасной аппарат не более 2 кв.м. |
реализация кваса |
круглогодично с периодом функционирования весна - осень |
|
||
|
Л-с-34 |
ул. Рыбинская (напротив магазина "Молоток") |
квасной аппарат не более 2 кв.м. |
реализация кваса |
круглогодично с периодом функционирования весна - осень |
|||
|
Л-с-
|
ул. Аксакова, 8 |
квасной аппарат не более 2 кв.м. |
реализация кваса |
круглогодично с периодом функционирования весна - осень |
|||
|
Л-с-36
|
ул. Аксакова, 12 "а" |
квасной аппарат не более 2 кв.м. |
реализация кваса |
круглогодично с периодом функционирования весна - осень |
|||
|
Л-с-37 |
ул. Бабаевского /Жилая |
квасной аппарат не более 2 кв.м. |
реализация кваса |
круглогодично с периодом функционирования весна - осень |
|||
|
Л-с-38
|
ул. Жилая, 11 "а" |
квасной аппарат не более 2 кв.м. |
реализация кваса |
круглогодично с периодом функционирования весна - осень |
|||
|
Л-с-39 |
о. Городской |
квасной аппарат не более 2 кв.м. |
реализация кваса |
круглогодично с периодом функционирования весна - осень |
|
||
|
Л-с-40 |
ул. Латышева, 18 |
квасной аппарат не более 2 кв.м. |
реализация кваса |
круглогодично с периодом функционирования весна - осень |
|
||
|
Л-с-41
|
ул. Татищева, 62 |
квасной аппарат не более 2 кв.м. |
реализация кваса |
круглогодично с периодом функционирования весна - осень |
|||
| Л-с-42 | ул. Яблочкова, 2д | тележка | реализация кваса |
круглогодично с периодом функционирования весна - осень |
выкопировка | ||
|
Реализация мороженого, прохладительных напитков, попкорна, сладкой ваты, вареной кукурузы |
|||||||
|
Л-с-43 |
ул. Чехова, 103 |
холодильное оборудование не более 5 кв.м. |
реализация мороженого, прохладительных напитков |
круглогодично с периодом функционирования весна - осень |
|||
|
Л-с-44 |
ул. Комс. Набережная/Куйбышева (напротив купальни) |
холодильное оборудование не более 5 кв.м. |
реализация мороженого, прохладительных напитков |
круглогодично с периодом функционирования весна - осень |
|||
|
Л-с-45 |
ул. Савушкина, 46 |
холодильное оборудование не более 5 кв.м. |
реализация мороженого, прохладительных напитков |
круглогодично с периодом функционирования весна - осень |
|||
|
Л-с-46 |
о. Городской |
холодильное оборудование не более 5 кв.м. |
реализация мороженого, прохладительных напитков |
круглогодично с периодом функционирования весна - осень |
|||
|
Л-с-47 |
ул. Яблочкова, 23 |
киоск не более 9 кв.м. |
реализация мороженого, прохладительных напитков |
круглогодично с периодом функционирования весна - осень |
ИП Долотказина И.З. Срок: 20.06.2023-20.06.2030 г. Астрахань, ул. С Перовской, д. 6, корп. 2, кв. 131 |
||
|
Л-с-48 |
ул. 28-й Армии, 16, кор. 1 |
холодильное оборудование не более 5 кв.м. |
реализация мороженого, прохладительных напитков |
круглогодично с периодом функционирования весна - осень |
|||
|
Л-с-49 |
ул. Бульварная, 11 |
холодильное оборудование не более 5 кв.м. |
реализация мороженого, прохладительных напитков |
круглогодично с периодом функционирования весна - осень |
|||
|
Л-с-50 |
ул. Бабаевского, 1 "б" |
холодильное оборудование не более 5 кв.м. |
реализация мороженого, прохладительных напитков |
круглогодично с периодом функционирования весна - осень |
|||
|
Л-с-51 |
ул. Жилая, 7 корп. 2/ Жилая, 9, корп. 5 |
киоск |
реализация вареной кукурузы |
круглогодично |
|||
|
Л-с-52 |
ул. Бабаевского, 31 |
оборудование для вареной кукурузы |
реализация вареной кукурузы |
круглогодично с периодом функционирования весна - осень |
|||
|
Л-с-53 |
ул. Савушкина, 24 "а" |
холодильное оборудование не более 5 кв.м. |
реализация прохладительных напитков |
круглогодично с периодом функционирования весна - осень |
|||
|
Л-с-54
|
ул. Анри Барбюса,17 «г» /ул. Савушкина, 44 «г» |
киоск «Газ – вода» |
реализация прохладительных напитков |
круглогодично с периодом функционирования весна - осень |
ИП Сеитов Р.Ш. Срок: 01.05.2022-31.10.2026 г. Астрахань, ул. Рылеева, д. 82, корп. 1, кв. 21 |
||
| Л-с-55 | ул. Жилая, 7г | тележка | реализация сладкой ваты, попкорна, кукурузы, карамели |
круглогодично с периодом функционирования весна - осень |
выкопировка | ||
| Л-к-56 | ул. Бабаевского, 31 (аллея Газовиков) | киоск | реализация мороженого | круглогодично | выкопировка | ||
| Л-к-57 | ул. Бабаевского, 31 (аллея Газовиков) | киоск | реализация напитков | круглогодично | выкопировка | ||
| Л-к-58 | бульвар Победы/ул. Куйбышева | киоск | реализация мороженого | круглогодично |
ООО "Славица" Срок: 12.07.2021-12.07.2028 Астраханская область, с. Солянка, ул. Магистральная, 28 |
||
| Л-к-59 | ул. А. Барбюса, 28 | киоск | реализация мороженого | круглогодично |
ООО "Славица" Срок: 12.07.2021-12.07.2028 Астраханская область, с. Солянка, ул. Магистральная, 28 |
||
| Л-к-60 | ул. Куйбышева, 103 (парковка рядом с набережной) | автолавка | реализация горячих напитков | круглогодично | выкопировка | ||
| Л-к-61 | ул. Жилая, 10 | павильон | реализация мороженого | круглогодично |
ООО "Славица" Срок: 30.10.2023-30.10.2030 Астраханская область, с. Солянка, ул. Магистральная, 28 |
||
| Л-к-62 | ул. Яблочкова, 1Д | павильон | реализация мороженого | круглогодично | |||
|
Реализация воздушных шаров, игрушек |
|||||||
|
Л-с-63 |
ул. Чехова, 103 |
палатка |
реализация воздушных шаров, игрушек |
круглогодично с периодом функционирования весна - осень |
|||
|
Л-с-64 |
ул. Чехова, 103 |
палатка |
реализация воздушных шаров, игрушек |
круглогодично с периодом функционирования весна - осень |
|||
|
Л-с-65 |
ул. Жилая, 7г |
тележка
|
реализация воздушных шаров, игрушек |
круглогодично с периодом функционирования весна - осень |
|||
|
Прочие товары |
|||||||
|
Л-к-66 |
ул. Косм. В. Комарова, 65 |
павильон |
реализация продовольственных товаров |
круглогодично |
ИП Султанов Р.Д., срок: 20.09.2017-19.09.2066, г. Астрахань, ул.Энергетическая, д.19, кв.5 |
||
|
Л-к-67 |
ул. Медиков, 7 |
киоск |
реализация мороженого |
круглогодично |
|
||
|
Л-к-68 |
ул. Бабаевского, 35, корп. 3 |
киоск |
реализация пчеловодческой продукции |
круглогодично |
ИП Батеева Е.В., Срок: 27.09.2019 по 27.09.2026, г.Астрахань, ул. Набережная Болдинской Пристани, д.59
|
||
|
Л-к-69 |
ул. Бульварная, 10 |
павильон |
реализация продовольственных товаров |
круглогодично |
ИП Мадагова М.З. срок: 27.10.2020-27.10.2027 г. Астрахань, ул. Жилая, 8 |
||
|
Л-к-70 |
ул. Ботвина, 10 |
киоск |
реализация мороженого |
круглогодично |
ООО "Славица" срок: 27.10.2020-27.10.2027 Астраханская область,с. Солянка, ул. Магистральная, 28 |
||
|
Л-к-71 |
ул. 1-я Перевозная (напротив д. 120 "б") |
киоск |
реализация продовольственных товаров |
круглогодично |
ИП Миришов Р.И.-о. срок: 27.10.2020-27.10.2027 г. Астрахань, ул. Боевая, 83, к.2 |
||
|
Л-к-72 |
ул. Зеленая, 31 |
павильон |
реализация продовольственных товаров |
круглогодично |
|||
|
Л-к-73 |
ул. Энергетическая, 11 |
павильон |
реализация продовольственных товаров |
круглогодично |
|||
|
Л-к-74 |
ул. Жилая, 10 "б" |
павильон |
реализация продовольственных товаров |
круглогодично |
ИП Султанов Р.Д. Срок: 20.12.2021-20.12.2028 г. Астрахань, ул. Чернышевского, д.7/8, пом.2 |
||
|
Л-к-75 |
ул. Бабаевского, 35 |
павильон |
реализация продовольственных товаров |
круглогодично |
|
||
|
Л-к-76 |
ул. Жилая, 7 |
павильон |
реализация продовольственных товаров |
круглогодично |
|||
|
Л-к-77 |
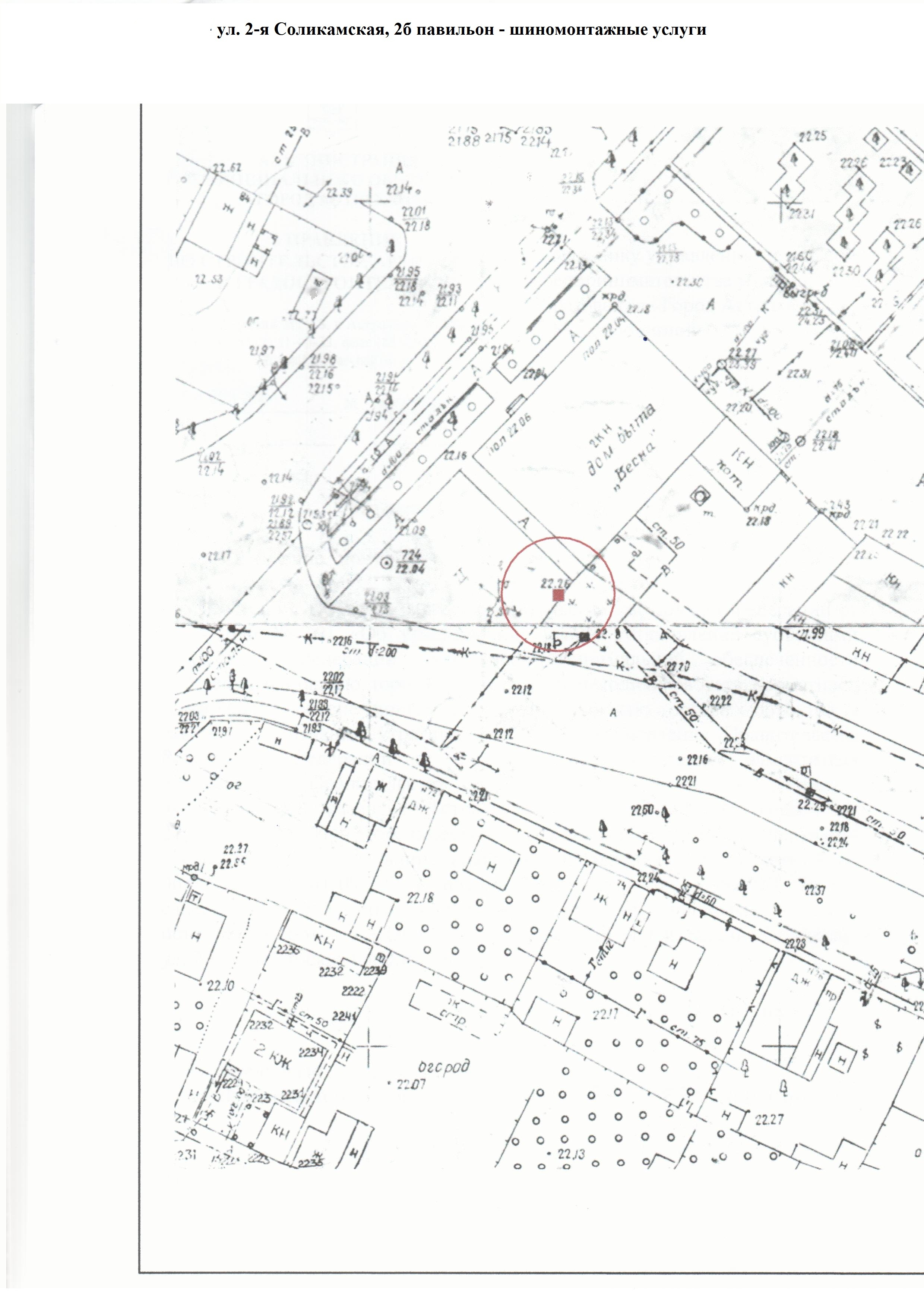
ул. Соликамская, 8 |
павильон |
реализация продовольственных товаров |
круглогодично |
ИП Султанов Р.Д., Срок: 02.02.2017-01.02.2066, г.Астрахань, ул.Энергетическая, д.19, кв.5 |
||
|
Л-к-78 |
ул. Яблочкова, 23 |
павильон |
реализация продовольственных товаров |
круглогодично |
ИП Султанов Р.Д., Срок: 02.05.2017-01.05.2066, г.Астрахань, ул.Энергетическая, д.19, кв.5 |
||
|
Л-к-79 |
ул. Яблочкова, 1 "д"/Маркина |
павильон |
реализация продовольственных товаров |
круглогодично |
ИП Султанов Р.Д., Срок: 26.04.2017-25.04.2066, г.Астрахань, ул.Энергетическая, д.19, кв.5 |
||
|
Л-к-80 |
ул. Савушкина, 31/1 |
павильон |
реализация продовольственных товаров |
круглогодично |
ИП Султанов Р.Д. Срок: 20.12.2021-20.12.2028 г. Астрахань, ул. Чернышевского, д.7/8, пом.2 |
||
|
Л-к-81 |
ул. Косм. В. Комарова, 65 "б" |
павильон |
реализация продовольственных товаров |
круглогодично |
ООО "СЛАВИЦА" Срок: 01.05.2022-01.05.2029 АО, Наримановский район, с. Солянка, ул. Магистральная, 28 |
||
|
Л-к-82 |
пл. Вокзальная, 13 "а"/1 |
павильон |
реализация непродовольственных товаров |
круглогодично |
|
||
|
Л-к-83 |
ул. Жилая, 12/Бульварная |
киоск |
реализация печатной продукции |
круглогодично |
|||
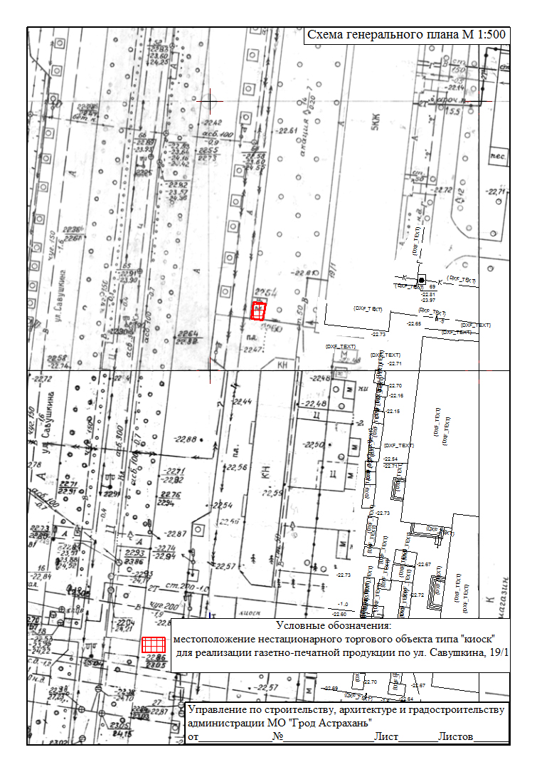
| Л-к-84 | ул. Савушкина, 19/1 | киоск | реализация печатной продукции | круглогодично |
ИП Хабибулин Р.Ш. Срок: 30.07.2024- 30.07.2031 г. Астрахань, ул. Боевая, д. 38, кв. 7 |
||
|
Л-к-85 |
ул. М. Максаковой, 39/10 |
киоск |
реализация печатной продукции |
круглогодично |
|||
|
Л-к-86 |
ул. Савушкина, 2 "г" (стадион) |
киоск |
реализация печатной продукции |
круглогодично |
|||
|
Л-к-87 |
ул. Савушкина, 15 |
киоск |
реализация печатной продукции |
круглогодично |
|||
|
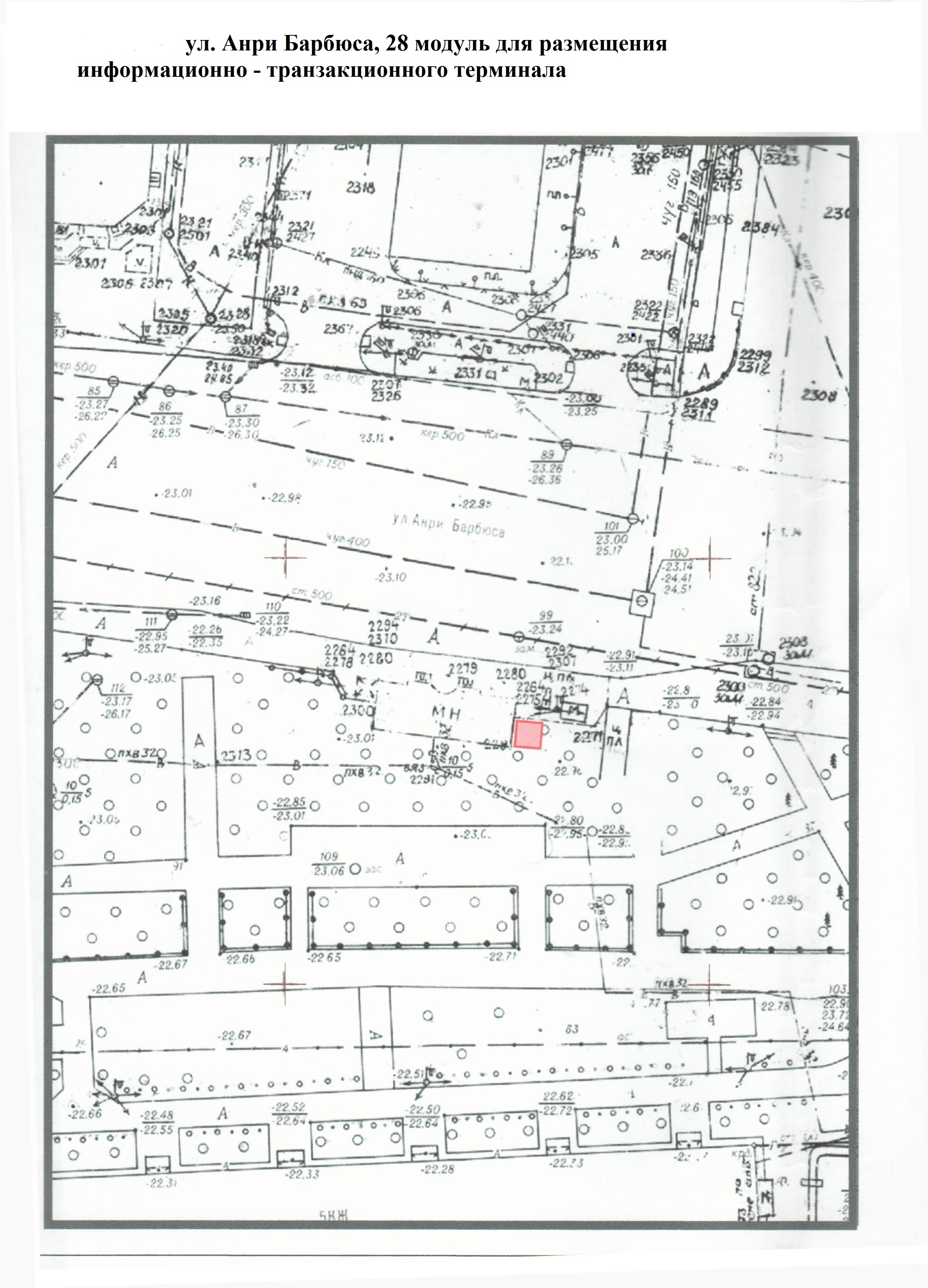
Л-к-88 |
ул. Анри Барбюса, 28 |
киоск |
реализация печатной продукции |
круглогодично |
ИП Зубарева М.А. Срок: 02.08.2023-02.08.2030 г. Астрахань, ул. Латышева, д. 7В, кв. 8 |
||
|
Л-к-89 |
ул. Анри Барбюса |
киоск |
реализация печатной продукции |
круглогодично |
|||
|
Л-к-90 |
пл. Привокзальная |
киоск |
реализация печатной продукции |
круглогодично |
|||
|
Л-к-91 |
ул. Ботвина, 10 - 12 |
киоск |
реализация печатной продукции |
круглогодично |
|||
|
Л-к-92 |
ул. Бабаевского |
киоск |
реализация печатной продукции |
круглогодично |
|||
|
Л-к-93 |
ул. Косм. В. Комарова, 65 |
киоск |
реализация печатной продукции |
круглогодично |
|||
|
Л-к-94 |
ул. Татищева, 43а |
киоск |
реализация печатной продукции |
круглогодично |
|||
|
Л-к-95 |
ул. Татищева, 43п |
киоск |
реализация печатной продукции |
круглогодично |
|||
|
Л-к-96 |
ул. Автозаправочная, 14 а |
павильон |
реализация непродовольственных товаров |
круглогодично |
|||
|
Л-к-97 |
ул. Б. Алексеева, 43 |
павильон |
реализация продовольственных товаров |
круглогодично |
ООО "ТД Трусовский" срок: 10.04.2020-10.04.2027 г. Астрахань, ул. Ломоносова,3 |
||
|
Л-к-98 |
ул. Румынская, 9, кор. 2 |
павильон |
реализация продовольственных товаров |
круглогодично |
|
||
|
Л-к-99 |
ул. Жилая, 8 |
павильон |
реализация продовольственных товаров |
круглогодично |
|||
|
Л-к-100 |
ул. Жилая, 15 "б" |
павильон |
реализация продовольственных товаров |
круглогодично |
ИП Войнова А.В. Срок:18.10.2025-
18.10.2032 г. Астрахань, ул. Адмирала Нахимова,
д. 137, кв. 105 |
||
|
Л-к-101 |
ул. Ереванская, 4а |
павильон |
реализация непродовольственных товаров |
круглогодично |
|||
|
Л-к-102 |
ул. Жилая, 15 |
павильон |
реализация непродовольственных товаров |
круглогодично |
ИП Грибинюк В.Н., Срок: 22.11.2019 по 22.11.2026, г. Астрахань, пер. Лесоводов, 4 |
||
|
Л-к-103 |
ул. Косм. В. Комарова, 63 (30:12:020949:0237) |
павильон |
реализация продовольственных товаров |
круглогодично |
ИП Ахмедов Н.Г.о., Срок: 22.11.2019 по 22.11.2026, г. Астрахань, пер. 1-й Майский, д.29 |
||
|
Л-к-104 |
ул. Автозаправочная, 1 |
павильон |
реализация продовольственных товаров |
круглогодично |
|||
| Л-к-105 |
ул. 4-я Железнодорожная, 47 "г" |
павильон | реализация продовольственных товаров | круглогодично | выкопировка | ||
| Л-к-106 |
ул. 4-я Железнодорожная, 47 "г" |
павильон | реализация непродовольственных товаров | круглогодично | выкопировка | ||
| Л-к-107 | ул. Соликамская, 8 | киоск | реализация продовольственных товаров | круглогодично | |||
| Л-к-108 | ул. Медиков, 8 | павильон | реализация продовольственных товаров | круглогодично | |||
| Л-к-109 |
ул. 4-я Железнодорожная, 47 "г" |
киоск | реализация продовольственных товаров | круглогодично | выкопировка | ||
| Л-к-110 | ул. Яблочкова, 1 "а" | павильон | реализация продовольственных товаров | круглогодично |
|
||
|
Л-к-111
|
ул. Полякова/ пл. Покровская |
павильон | реализация лотерейных билетов | круглогодично | выкопировка | ||
|
Л-к-112
|
ул. Жилая, 9 "в"/9 "г" | павильон | реализация продовольственных товаров | круглогодично |
ИП Токсанбаева П.М. Срок: 06.06.2023-06.06.2030 г. Астрахань, ул. Бульварная, д. 9, корп. 1, кв. 10 |
||
|
Л-к-113
|
ул. Савушкина, между остановочным комплексом и торговым павильоном по ул. Анри Барбюса, 17 "г" |
павильон | реализация продовольственных товаров | круглогодично |
ИП Султанов Р.Д., срок: 05.10.2022-05.10.2029 г.Астрахань, ул. Чернышевского, д. 7/8, пом. 2 |
||
| Л-к-114 | ул. Краматорская, 133 | павильон | реализация непродовольственных товаров | круглогодично | выкопировка | ||
| Л-к-115 | ул. Бабаевского | павильон | реализация лотерейных билетов | круглогодично |
ООО «Тихая заводь» Срок: 11.06.2025-11.06.2032 г. Астрахань, ул. Шаумяна/Дарвина, д.87/9 |
||
| Л-к-116 | ул. Бабаевского, 39е | павильон | реализация мороженого | круглогодично |
ООО "Славица" Срок: 12.07.2021-12.07.2028 Астраханская область, с. Солянка, ул. Магистральная, 28 |
||
| Л-к-117 | пер. Комсомольский | павильон | реализация продовольственных товаров | круглогодично | выкопировка | ||
| Л-к-118 | пер. 3-й Углегорский | павильон | реализация продовольственных товаров | круглогодично | выкопировка | ||
| Л-к-119 | ул. 28 Армии, 8, кор. 1 а | павильон | реализация продовольственных товаров | круглогодично |
ООО "ТД Трусовский" срок: 27.11.2019-27.11.2026 г. Астрахань, ул. Ломоносова, 3 |
||
| Л-к-120 | ул. 28 Армии, 8, кор. 1 а | киоск | реализация продовольственных товаров | круглогодично | выкопировка | ||
| Л-к-121 | ул. 28 Армии, 8, кор. 1 а | киоск | реализация продовольственных товаров | круглогодично | выкопировка | ||
| Л-к-122 |
ул. 4-я Железнодорожная, 47 "г" |
павильон | реализация продовольственных товаров | круглогодично | |||
| Л-к-123 |
ул. 8-я Железнодорожная |
киоск | реализация продовольственных товаров | круглогодично | |||
| Л-к-124 | ул. Яблочкова, 36 | павильон | реализация продовольственных товаров | круглогодично |
ООО "Славица" срок: 10.02.2020-10.02.2027 Астраханская область,с. Солянка, ул. Магистральная, 28 |
||
| Л-к-125 | ул. Яблочкова, 36 | павильон | реализация продовольственных товаров | круглогодично |
ИП Сафаралиева Л.Н. Срок: 04.06.2023-04.06.2030 АО, Наримановский район, с. Солянка, ул. Кирова, 17 |
||
| Л-к-126 | ул. Яблочкова, 36 | киоск | реализация печатной продукции | круглогодично |
ИП Зубарева М.А. Срок: 02.08.2023-02.08.2030 г. Астрахань, ул. Латышева, д. 7В, кв. 8 |
||
| Л-к-127 | ул. Яблочкова, 22 | киоск | реализация печатной продукции | круглогодично | выкопировка | ||
| Л-к-128 | ул. Яблочкова, 1а | киоск | реализация печатной продукции | круглогодично | выкопировка | ||
| Л-к-129 | пл. Вокзальная, 13 «а» | киоск | реализация молочной продукции | круглогодично |
|
||
| Л-к-130 | ул. Савушкина, 24а | киоск | реализация мороженого | круглогодично |
ООО "Славица" срок: 09.09.2020-09.09.2027 Астраханская область,с. Солянка, ул. Магистральная, 28 |
||
| Л-к-131 | ул. Савушкина, 19 корп. 1 | киоск | бытовые услуги населению | круглогодично |
ИП Курбанов Г.К. срок: 10.02.2020-10.02.2027 г. Астрахань ул. Бехтерева, 14 |
||
| Л-к-132 | ул. Бабаевского, 1 корп. 9 | павильон | реализация продовольственных товаров | круглогодично |
ИП Мустафаев Д.А.о. Срок: 30.03.2021-30.03.2028 г. Астрахань, ул. Артельная, 58 |
||
| Л-к-133 | ул. К. Комарова, 67г | киоск | реализация мороженого | круглогодично | выкопировка | ||
| Л-к-134 | ул. Савушкина, 18 | павильон | услуги общественного питания | круглогодично с периодом функционирования весна-осень | выкопировка | ||
| Л-к-135 | ул. Татищева, корп. 26 | павильон | реализация продовольственных товаров | круглогодично | выкопировка | ||
| Л-к-136 | ул. Савушкина, 5 | торгово- остановочный комплекс (павильон с навесом) | услуги общественного питания | круглогодично |
ИП Поташин П.Н. Срок: 31.03.2021-31.03.2028 г. Астрахань, ул. Победы, 49, лит. Д |
||
| Л-к-137 | ул. Жилая, 12/Бульварная | киоск | реализация печатной продукции | круглогодично | |||
| Л-к-138 | ул. Маркина, 1Д | павильон | реализация продовольственных товаров | круглогодично |
|
||
| Л-к-139 | ул. Новороссийская, 12а/1 | павильон | реализация продовольственных товаров | круглогодично |
|
||
| Л-к-140 | ул. Яблочкова, 2д | павильон | услуги общественного питания | круглогодично |
ИП Шамсутдинов А.А. Срок: 29.09.2021- 29.09.2028, г. Астрахань, ул. Куликова, д. 56, корп.1, кв.9 |
||
| Л-к-141 | ул. Новороссийская, 3ж | киоск | реализация продовольственных товаров | круглогодично | выкопировка | ||
| Л-к-142 | ул. Жилая, 11 | павильон | реализация продовольственных товаров | круглогодично | |||
| Л-к-143 | ул. Татищева, 16б | павильон | реализация продовольственных товаров | круглогодично |
ИП Худякова Н.В. Срок: 20.12.2021-20.12.2028 г. Астрахань, пр. Н. Островс кого, д.4, корп.1, кв. 53 |
||
| Л-к-144 | ул. Новороссийская, 12а | павильон | реализация продовольственных товаров | круглогодично |
ИП Елесина Л.И. Срок: 01.06.2022-01.06.2029 АО, Приволжский район, с. Карагали, ул. К. Маркса, д. 8 |
||
| Л-к-145 | ул. Татищева, 16б | торговая галерея | реализация продовольственных товаров | круглогодично |
ИП Худякова Н.В. Срок: 20.12.2021-20.12.2028 г. Астрахань, пр. Н. Островского, д.4, корп.1, кв. 53 |
||
| Л-к-146 | ул. Ботвина, 10 | павильон | реализация продовольственных товаров | круглогодично |
ИП Исаева О.Г. Срок: 01.05.2022-01.05.2029 г. Астрахань, ул. 11-й Красной Армии, уч-к 21 |
||
| Л-к-147 | ул. Новороссийская, 12 | торговая галерея | реализация продовольственных товаров | круглогодично | |||
| Л-к-148 | ул. Латышева, 16 | торговая галерея | реализация продовольственных товаров | круглогодично |
ИП Мыгыева В.Ю. Срок: 20.12.2021 - 20.12.2028 г. Астрахань, ул. Бертюльская. д. 5, кв. 37 |
||
| Л-к-149 | ул. Латышева, 8а | торгово-остановочный комплекс (павильон с навесом, не более 20 кв.м) | реализация продовольственных товаров | круглогодично |
ИП Мыгыева В.Ю. Срок: 20.12.2021-20.12.2028 г. Астрахань, ул. Бертюльская. д. 5, кв. 37 |
||
| Л-к-150 | ул. Соликамская, 8/ул. Новороссийская | павильон | реализация продовольственных товаров | круглогодично |
ИП Пономарь Л.А. Срок: 20.12.2021-20.12.2028 г. Астрахань, ул. Кавказская, 1 проезд, д. 26 |
||
| Л-к-151 | ул. Яблочкова, 2А/1 | торговая галерея | реализация непродовольственных товаров | круглогодично |
ИП Богатов О.В. Срок: 20.10.2023-20.10.2030 Астраханская область, Камызякский район, пос. Ревин Хутор, ул. Ленина, д. 47 |
||
| Л-к-152 | ул. 28 Армии, 10А | торговая галерея | реализация непродовольственных товаров | круглогодично | выкопировка | ||
| Л-к-153 | ул. Бабаевского, 33 корп. 1 | павильон | реализация продовольственных товаров | круглогодично | выкопировка | ||
| Л-к-154 | ул. Беринга, 2а | торговая галерея | реализация продовольственных товаров | круглогодично | выкопировка | ||
| Л-к-155 | ул. Ботвина, 10 | павильон | реализация продовольственных товаров | круглогодично |
ИП Султанов Р.Д. Срок: 25.02.2022 - 25.02.2029 г. Астрахань, ул. Чернышевского, д. 7/8, пом. 2 |
||
| Л-к-156 | ул. Жилая, 15а | павильон | реализация продовольственных товаров | круглогодично |
ИП Мадагова М.З. Срок: 01.05.2022-01.05.2029 г. Астрахань, ул. Жилая, д. 8, кв. 25 |
||
| Л-к-157 | ул. Савушкина, 17в | павильон | реализация кондитерских изделий и напитков | круглогодично |
ИП Махмудов Ф.Г.О. Срок: 01.01.2022- 01.01.2029 г. Астрахань, ул. Савушкина, д. 19/1, кв. 73
|
||
| Л-к-158 | ул. Жилая, 11 | павильон | реализация продовольственных товаров | круглогодично |
ИП Абубикеров Р.И. Срок: 05.07.2022-05.07.2029 АО, г. Камызяк, ул. Красная Набережная, д. 75, кв. 2 |
||
| Л-к-159 | ул. Савушкина, 44д | павильон | реализация цветов | круглогодично |
ИП Маргарян Б.Г. Срок: 05.06.2023-05.06.2030 г. Астрахань, ул. Краснознаменная, 90 |
||
| Л-к-160 | ул. Автозаправочная, 4 | торговая галерея | реализация непродовольственных товаров | круглогодично | выкопировка | ||
| Л-к-161 | ул. Садовских, 7 | торговая галерея | реализация продовольственных товаров | круглогодично | выкопировка | ||
| Л-к-162 | ул. Садовских, 7 | торговая галерея | реализация продовольственных товаров | круглогодично | выкопировка | ||
| Л-к-163 | ул. Садовских, 7 | торговая галерея | реализация продовольственных товаров | круглогодично | выкопировка | ||
| Л-к-164 | ул. Садовских, 7 | торговая галерея | реализация продовольственных товаров | круглогодично | выкопировка | ||
| Л-к-165 | ул. Садовских, 7 | торговая галерея | реализация продовольственных товаров | круглогодично | выкопировка | ||
| Л-с-166 | ул. Бульвар Победы, 2а | вендинговый аппарат | реализация напитков | круглогодично с периодом функционирования весна-осень |
ИП Семенов В.Б. Срок: 16.10.2025-16.10.2028 ул. Романтическая, д. 3 |
||
| Л-к-167 | ул. Жилая, 11 | павильон | реализация продовольственных товаров | круглогодично | |||
| Л-к-168 | ул. Яблочкова, 2е | павильон | реализация мороженого | круглогодично |
ИП Бердеева А.Р. Срок: 06.06.2023-06.06.2030 г. Астрахань, ул. Сен-Симона, д. 42, корп. 4, кв. 29А |
||
| Л-к-169 | ул. Космонавта В. Комарова, 65 | павильон | реализация непродовольственных товаров | круглогодично | |||
| Л-к-170 | ул. Савушкина, 31 | павильон | реализация продовольственных товаров | круглогодично |
ООО "Славица" Срок: 25.07.2024- 25.07.2031 Астраханская обл. с. Солянка, ул. Магистральная, 28 |
||
| Л-к-171 | ул. Покровская, 3А | павильон | реализация рыбной продукции | круглогодично |
ИП Журавлев Ю.С. Срок: 25.07.2024- 25.07.2031 Астраханская обл., Наримановский район, г. Нариманов, ул. Набережная, д. 14, кв. 23, ком.6 |
||
| Л-к-172 | ул. К. Комарова, 65Б/4 | павильон | реализация кулинарных изделий | круглогодично
|
ИП Адель М.А. Срок: 25.07.2024- 25.07.2031 г. Астрахань, ул. Генерала Епишева, д. 1, корп. 1, кв. 28 |
||
| Л-к-173 | ул. Ереванская | павильон | услуги общественного питания | круглогодично | |||
| Л-к-174 | ул. Жилая, 7а/1 | павильон | реализация продовольственных товаров | круглогодично |
ИП Дудаев М.Н. Срок: 07.02.2024-07.02.2031 г. Астрахань, ул. Латышева, д. 3, кв. 55 |
||
| Л-к-175 | ул. Бульварная, 11 | киоск | реализация хлеба, хлебобулочных и кондитерских изделий | круглогодично |
ИП Миришов Р.И.о. Срок: 07.02.2024-07.02.2031 г. Астрахань, ул. Донбасская, д. 3, кв. 80 |
||
| Л-к-176 | ул. Латышева, 14 | торговая галерея | услуги общественного питания | круглогодично
|
ИП Мыгыева В.Ю. Срок: 26.07.2024- 26.07.2031 г. Астрахань, ул. Бертюльская, д. 5, кв. 37 |
||
| Л-к-177 | ул. Полякова, строение 20 | торговая галерея | реализация продовольственных товаров | круглогодично | выкопировка | ||
| Л-к-178 | ул. Жилая, 17 | торговая галерея | услуги общественного питания | круглогодично | выкопировка | ||
| Л-к-179 | 4-я Черниговская, 1Б | торговая галерея | услуги автосервиса | круглогодично | |||
| Л-к-180 | ул. Жилая, 17А | павильон | услуги общественного питания | круглогодично |
ИП Исрафилова Н.Т.К. Срок: 11.06.2025-11.06.2032 г. Астрахань, ул. Астрономическая, д. 61А |
||
| Л-к-181 | ул. Аксакова, 12а стр | павильон | услуги общественного питания | круглогодично | |||
| Л-к-182 | ул. Аксакова, 8 | павильон | услуги общественного питания | круглогодично | |||
| Л-к-183 | ул. Новороссийская , 1/ Соликамская, 14 | киоск | реализация горячих напитков | круглогодично | |||
| Л-к-184 | Покровская площадь, 3А/1 | павильон | реализация рыбной продукции | круглогодично |
|
||
| Л-к-185 | ул. 2-ая Московская площадь, 49г | павильон | реализация продовольственных товаров | круглогодично | |||
| Л-к-186 | ул. Савушкина, 23/7 | павильон | услуги общественного питания | круглогодично | |||
| Л-к-187 | ул. Савушкина, 23/7 | павильон | услуги общественного питания | круглогодично | |||
| Л-к-188 | ул. Яблочкова, 36 | павильон | реализация продовольственных товаров | круглогодично | |||
| Л-к-189 | ул. Комсомольская Набережная, 13 | павильон | реализация горячих и холодных напитков | круглогодично | |||
|
Реализация хлеба, хлебобулочных изделий |
|||||||
|
Л-к-190 |
ул. Бульварная, 2 |
киоск |
реализация хлеба, хлебобулочных изделий |
круглогодично |
|
||
|
Л-к-191 |
ул. Бульварная, 11 |
киоск |
реализация хлеба, хлебобулочных изделий |
круглогодично |
|||
|
Л-к-192 |
ул. Жилая, 8, корп. 1 |
автолавка |
реализация хлеба, хлебобулочных изделий |
круглогодично |
|||
|
Л-к-193 |
ул. Ст. Здоровцева, 4 |
киоск |
реализация хлеба, хлебобулочных изделий |
круглогодично |
ООО ТД «Наримановский», Срок: 25.10.2019 -25.10.2026, г. Астрахань, ул. Адм. Нахимова, 32 |
||
|
Л-к-194 |
ул. Жилая, 11 "а" |
павильон |
реализация хлеба, хлебобулочных изделий |
круглогодично |
|||
|
Л-к-195 |
ул. Маркина, 98 |
киоск |
реализация хлеба, хлебобулочных изделий |
круглогодично |
|||
|
Л-к-196 |
ул. 28-й Армии, 8 "б" |
киоск |
реализация хлеба, хлебобулочных изделий |
круглогодично |
|||
|
Л-к-197 |
ул. Жилая, 11/9 |
киоск |
реализация хлеба, хлебобулочных изделий |
круглогодично |
ИП Эскерова Д.В., Срок: с 22.11.2019 по 22.11.2026, г. Астрахань, ул. Жилая, д.8, кв.58 |
||
|
Л-к-198 |
ул. Маркина/ Яблочкова, 1 "а" |
павильон |
реализация хлеба, хлебобулочных изделий |
круглогодично |
|
||
|
Л-к-199 |
ул. Энергетическая, 11, кор. 1 |
павильон |
реализация хлеба, хлебобулочных изделий |
круглогодично |
|
||
| Л-к-200 |
ул. Новороссийская, 95б |
киоск | реализация хлеба, хлебобулочных изделий | круглогодично |
ИП Миришов Р.И.о. срок: 10.12.2020-10.12.2027 г. Астрахань ул. Боевая, 83, к. 2 |
||
| Л-к-201 |
ул. 4-я Железнодорожная, 47 |
киоск | реализация хлеба, хлебобулочных изделий | круглогодично |
ИП Миришов Р.И.о. срок: 10.12.2020-10.12.2027 г. Астрахань ул. Боевая, 83, к. 2 |
||
| Л-к-202 | ул. 28 Армии, 10а | киоск | реализация хлеба, хлебобулочных изделий | круглогодично | выкопировка | ||
| Л-к-203 |
пер. Комсомольский/ ул. Щукина, 77а |
павильон | реализация хлеба, хлебобулочных изделий | круглогодично |
ООО ТД "Трусовский" Срок: 06.06.2023-06.06.2030 г. Астрахань, ул. Ломоносова, 3 |
||
| Л-к-204 | ул. Комсомольская Набережная, 21 | киоск | реализация хлеба, хлебобулочных изделий | круглогодично |
ИП Миришов Р.И.о, срок: 29.03.2021-29.03.2028, г.Астрахань, ул.Ломоносова,3 |
||
| Л-к-205 |
ул. Ботвина, 10
|
павильон | реализация хлеба, хлебобулочных изделий | круглогодично |
ИП Миришов Р.И.о. Срок: 06.06.2023-06.06.2030 г.Астрахань, ул. Донбасская, д. 3, кв. 80 |
||
| Л-к-206 | ул. Бабаевского, 39е | павильон | реализация хлеба, хлебобулочных изделий | круглогодично |
ИП Миришов Р.И.-о. срок: 27.11.2019-27.11.2026 г. Астрахань, ул. Боевая, 83, к.2 |
||
| Л-к-207 | ул. Яблочкова, 36 | павильон | реализация хлеба, хлебобулочных изделий | круглогодично |
ИП Миришов Р.И.о. срок: 10.02.2020-10.02.2027 г. Астрахань ул. Боевая, 83, к. 2 |
||
| Л-к-208 | ул. Татищева (30:12:020310:173) | павильон | реализация хлеба, хлебобулочных изделий | круглогодично | |||
| Л-к-209 | ул. Бульварная, 4 | киоск | реализация хлеба, хлебобулочных изделий | круглогодично | выкопировка | ||
| Л-к-210 | ул. Медиков, 6а | киоск | реализация хлеба, хлебобулочных изделий | круглогодично |
ИП Миришов Р.И.о. срок: 10.12.2020-10.12.2027 г. Астрахань ул. Боевая, 83, к. 2 |
||
| Л-к-211 | ул. Татищева, корп. 21 | киоск | реализация хлеба, хлебобулочных изделий | круглогодично | выкопировка | ||
| Л-к-212 | ул. К. Комарова, 65 | павильон | реализация хлеба, хлебобулочных изделий | круглогодично |
|
||
|
Реализация мучных, кулинарных и кондитерских изделий, прохладительных напитков |
|||||||
|
Л-к-213 |
ул. Медиков, 7 |
киоск |
реализация мучных, кулинарных и кондитерских изделий |
круглогодично |
|||
|
Л-к-214 |
ул. Энергетическая, 11, корп. 4 |
киоск |
реализация мучных, кулинарных и кондитерских изделий |
круглогодично |
|||
|
Л-к-215 |
ул. Савушкина, 1 "б" |
павильон |
реализация мучных, кулинарных и кондитерских изделий, прохладительных напитков |
круглогодично |
|
||
|
Л-к-216 |
ул. Савушкина, между остановочным комплексом и торговым павильоном по ул. Анри Барбюса , 17 "г" |
павильон |
реализация мучных, кулинарных и кондитерских изделий, прохладительных напитков |
круглогодично |
|
||
|
Л-к-217 |
ул. Жилая, 7 "б" |
киоск |
реализация мучных, кулинарных и кондитерских изделий, прохладительных напитков |
круглогодично |
|||
| Л-к-218 | ул. Куйбышева, 71 | павильон | реализация мучных, кулинарных и кондитерских изделий, прохладительных напитков | круглогодично | выкопировка | ||
| Л-к-219 | ул. Жилая, между домами 7Б и 9В | павильон | реализация мороженого | круглогодично | выкопировка | ||
| Л-к-220 | ул. Бабаевского, 1 корп. 9 | павильон | реализация мучных, кулинарных и кондитерских изделий | круглогодично | |||
| Л-к-221 | ул. Анри Барбюса, 28 | павильон | реализация хлебобулочных и кондитерских изделий | круглогодично |
ООО «Асторгсервис» Срок: 11.06.2025- 11.06.2032 г. Астрахань, пер. Трудовой, д. 1 |
||
| Л-к-222 | ул. Яблочкова, 23А | павильон | реализация хлебобулочных и кондитерских изделий | круглогодично | |||
|
Реализация яйца куриного, мяса птицы |
|||||||
|
Л-к-223 |
ул. Энергетическая, 11, кор. 4 |
киоск |
реализация яйца куриного, мяса птицы |
круглогодично |
|||
| Л-к-224 | ул. Бабаевского, 33 корп. 1 | павильон | реализация яйца куриного, мяса птицы | круглогодично |
|
||
|
Реализация молочной продукции |
|||||||
|
Л-к-225 |
ул. Бульварная, 11 |
киоск |
реализация молочной продукции |
круглогодично |
|||
| Л-к-226 | ул. Жилая, 9 | автолавка | реализация молочной продукции | круглогодично | выкопировка | ||
| Л-к-227 | ул. 4-я Железнодорожная, 47ж | павильон | реализация молочной продукции | круглогодично | выкопировка | ||
| Л-к-228 | ул. Жилая, 7а1 | павильон | реализация молочной продукции | круглогодично |
ИП Исаева О.Г. Срок: 16.12.2022-16.12.2029 г. Астрахань, ул. 11-й Красной Армии, уч-к 21 |
||
| Л-к-229 | ул. Жилая, 17А | павильон | реализация молочной продукции | круглогодично |
ООО «Асторгсервис» Срок: 11.06.2025- 11.06.2032 г. Астрахань, пер. Трудовой, д. 1 |
||
|
Реализация овощей, фруктов |
|||||||
|
Л-к-230 |
ул. Энергетическая, 11 |
киоск |
реализация овощей, фруктов |
круглогодично |
|||
|
Л-к-231 |
ул. Бабаевского, 41 |
киоск |
реализация овощей, фруктов |
круглогодично |
ИП Халилов Э.А.О. Срок: 20.10.2023-20.10.2030 Астраханская область, пер. 4-й Березовый, д. 13 |
||
|
Л-к-232 |
ул. Жилая, 12 |
киоск |
реализация овощей, фруктов |
круглогодично |
|||
|
Л-к-233 |
ул. 4-я Железнодорожная, 47 "г" |
павильон |
реализация овощей, фруктов |
круглогодично |
|
||
|
Л-к-234 |
ул. Медиков, 7 |
киоск |
реализация овощей, фруктов |
круглогодично |
ИП Авагян Г.Х., срок: 25.04.2020-25.04.2027, г. Астрахань, ул. Б.Хмельницкого, д. 57, кв. 138 |
||
|
Л-к-235 |
ул. Медиков, 9 |
киоск |
реализация овощей, фруктов |
круглогодично |
|||
|
Л-к-236 |
ул. Яблочкова/ Б. Алексеева, 23/41 |
киоск |
реализация овощей, фруктов |
круглогодично |
ИП Калиева Р.Д., Срок: 26.10.2019-26.10.2026, г. Астрахань, ул. Бабаевского, д.35, кор.3, кв. 71 |
||
|
Л-к-237 |
ул. Аксакова, 14, кор. 2 |
киоск |
реализация овощей, фруктов |
круглогодично |
|||
|
Л-к-238 |
ул. Ботвина, 12 |
киоск |
реализация овощей, фруктов |
круглогодично |
|||
|
Л-к-239 |
ул. Б. Алексеева, 43 |
павильон |
реализация овощей, фруктов |
круглогодично |
|||
|
Л-к-240 |
ул. Аксакова, 8 |
киоск |
реализация овощей, фруктов |
круглогодично |
|||
|
Л-к-241 |
ул. Космическая, 6 |
павильон |
реализация овощей, фруктов |
круглогодично |
|||
| Л-к-242 |
ул. Нефтяников 1 проезд |
киоск | реализация овощей, фруктов | круглогодично |
|
||
|
Л-к-243
|
ул. Б. Алексеева, 4 | автолавка | реализация овощей, фруктов | круглогодично | выкопировка | ||
|
Л-к-244
|
ул. Ботвина, 10 | павильон | реализация овощей, фруктов | круглогодично |
ИП Ханахмедова З. Срок: 19.10.2022-19.10.2029 г. Астрахань, ул. Галлея, 22 |
||
| Л-к-245 | ул. Яблочкова, 36/ул. Б. Алексеева | павильон | реализация овощей, фруктов | круглогодично | ИП Алиев А.Э.о.
срок: 10.04.2020-10.04.2027, г. Астрахань, ул.Белгородская, 1, к.4, кв.147 |
||
| Л-к-246 | ул. Новороссийская, 12 | павильон | реализация овощей, фруктов | круглогодично |
ООО "Славица" срок: 27.10.2020-27.10.2027 Астраханская область,с. Солянка, ул. Магистральная, 28 |
||
| Л-к-247 | ул. Аксакова, 12А | павильон | реализация овощей, фруктов | круглогодично | выкопировка | ||
| Л-к-248 | ул. Яблочкова, 22 | павильон |
реализация овощей, фруктов |
круглогодично |
ИП Гусейнов Г.А.О. Срок: 07.02.2024-07.02.2031 г. Астрахань, ул. Профессиональная, д. 19 |
||
| Л-к-249 | ул. Щукина, 77б | павильон |
реализация овощей, фруктов |
круглогодично | |||
|
Реализация деревьев хвойных пород |
|||||||
|
Л-с-250 |
ул. Бабаевского, 39 |
елочный базар |
реализация натуральных хвойных деревьев и веток хвойных деревьев |
круглогодично с периодом функционирования зима |
|||
|
Л-с-251 |
ул. Новороссийская, 12 |
елочный базар |
реализация натуральных хвойных деревьев и веток хвойных деревьев |
круглогодично с периодом функционирования зима |
|||
|
Л-с-252 |
ул. Аксакова, 7а |
елочный базар |
реализация натуральных хвойных деревьев и веток хвойных деревьев |
круглогодично с периодом функционирования зима |
|||
|
Л-с-253 |
ул. Зеленая, 53 |
елочный базар |
реализация натуральных хвойных деревьев и веток хвойных деревьев |
круглогодично с периодом функционирования зима |
|||
|
Л-с-254 |
ул. Савушкина, 18 |
елочный базар |
реализация натуральных хвойных деревьев и веток хвойных деревьев |
круглогодично с периодом функционирования зима |
ИП Абубикеров Р.И. Срок: 13.01.2025-31.12.2027 с периодом размещения с 07.12..по 31.12. Астраханская область, г. Камызяк, ул. Красная Набережная, д. 75, кв. 2 |
||
|
Л-с-255 |
ул. Косм. В. Комарова, 63 п |
елочный базар |
реализация натуральных хвойных деревьев и веток хвойных деревьев |
круглогодично с периодом функционирования зима |
|||
|
Л-с-256 |
ул. Яблочкова, 2д |
елочный базар |
реализация натуральных хвойных деревьев и веток хвойных деревьев |
круглогодично с периодом функционирования зима |
|||
| Л-с-257 |
ул. Авиационная, 61 а/Яблочкова (сторона х/з "Болдинский") |
елочный базар | реализация натуральных хвойных деревьев и веток хвойных деревьев |
круглогодично с периодом функционирования зима |
ИП Николаев Ю.К. Срок: 01.01.2024-01.01.2027 г. Астрахань, ул. Яблочкова, д. 34, кв. 49 |
||
| Л-с-258 |
ул. 3-я Красноармейская, 1а |
елочный базар | реализация натуральных хвойных деревьев и веток хвойных деревьев |
круглогодично с периодом функционирования зима |
выкопировка | ||
| Л-с-259 |
ул. Косм. В. Комарова, 65 |
елочный базар | реализация натуральных хвойных деревьев и веток хвойных деревьев |
круглогодично с периодом функционирования зима |
выкопировка | ||
| Л-с-260 | ул. Жилая, 11 а | елочный базар | реализация натуральных хвойных деревьев и веток хвойных деревьев |
круглогодично с периодом функционирования зима |
ИП Абубикеров Р.И. Срок: 13.01.2025-31.12.2027 с периодом размещения с 07.12..по 31.12. Астраханская область, г. Камызяк, ул. Красная Набережная, д. 75, кв. 2 |
||
| Л-с-261 | ул. Энергетическая, 11 | елочный базар | реализация натуральных хвойных деревьев и веток хвойных деревьев |
круглогодично с периодом функционирования зима |
выкопировка | ||
| Л-с-262 |
ул. Бабаевского, 35, корп. 3 |
елочный базар | реализация натуральных хвойных деревьев и веток хвойных деревьев |
круглогодично с периодом функционирования зима |
ИП Абубикеров Р.И. Срок: 13.01.2025-31.12.2027 с периодом размещения с 07.12..по 31.12. Астраханская область, г. Камызяк, ул. Красная Набережная, д. 75, кв. 2 |
||
| Л-с-263 |
ул. Новороссийская /Соликамская, 8 |
елочный базар | реализация натуральных хвойных деревьев и веток хвойных деревьев |
круглогодично с периодом функционирования зима |
выкопировка | ||
| Л-с-264 | ул. Автозаправочная, 4 | елочный базар | реализация натуральных хвойных деревьев и веток хвойных деревьев |
круглогодично с периодом функционирования зима |
выкопировка | ||
|
Реализация бахчевой продукции |
|||||||
|
Л-с-265 |
ул. Авиационная, 61 а/Яблочкова (сторона х/з "Болдинский") |
арбузник |
реализация бахчевой продукции |
круглогодично с периодом функционирования лето - осень |
|||
|
Л-с-266 |
ул. 3-я Красноармейская, 1а |
арбузник |
реализация бахчевой продукции |
круглогодично с периодом функционирования лето - осень |
|||
|
Л-с-267 |
ул. Косм. В. Комарова, 65 |
арбузник |
реализация бахчевой продукции |
круглогодично с периодом функционирования лето - осень |
|||
|
Л-с-268 |
ул. Энергетическая, 11 |
арбузник |
реализация бахчевой продукции |
круглогодично с периодом функционирования лето - осень |
|
||
|
Л-с-269 |
ул. Бабаевского, 35, корп. 3 |
арбузник |
реализация бахчевой продукции |
круглогодично с периодом функционирования лето - осень |
|
||
|
Л-с-270 |
ул. Новороссийская /Соликамская, 8 |
арбузник |
реализация бахчевой продукции |
круглогодично с периодом функционирования лето - осень |
|
||
|
Л-с-271 |
ул. Автозаправочная, 4 |
арбузник |
реализация бахчевой продукции |
круглогодично с периодом функционирования лето - осень |
|||
|
Л-с-272 |
ул. Новороссийская, 12 |
арбузник |
реализация бахчевой продукции |
круглогодично с периодом функционирования лето - осень |
|||
| Л-с-273 | ул. Бабаевского, 39 | арбузник | реализация бахчевой продукции |
круглогодично с периодом функционирования лето - осень |
выкопировка | ||
| Л-с-274 | ул. Аксакова, 7а | арбузник | реализация бахчевой продукции |
круглогодично с периодом функционирования лето - осень |
выкопировка | ||
| Л-с-275 | ул. Зеленая, 53 | арбузник | реализация бахчевой продукции |
круглогодично с периодом функционирования лето - осень |
выкопировка | ||
| Л-с-276 | ул. Косм. В. Комарова, 63 п | арбузник | реализация бахчевой продукции |
круглогодично с периодом функционирования лето - осень |
выкопировка | ||
| Л-с-277 | ул. Яблочкова, 2д | арбузник | реализация бахчевой продукции |
круглогодично с периодом функционирования лето - осень |
выкопировка | ||
РАЗДЕЛ 2
Нестационарные торговые объекты, расположенные
на земельных участках, в зданиях, строениях и сооружениях,
находящихся в государственной собственности
|
№ |
Адрес нестационарного торгового объекта |
Вид нестационарного торгового объекта |
Специализация нестационарных торговых объектов |
Период размещения нестационарного торгового объекта |
Наименование и адрес регистрации хозяйствующего субъекта |
|
Л-к-278 |
ул. Туапсинская, 34, литер Б (ГБОУ АО СПО "Астраханский колледж профессиональных технологий") |
торговый аппарат |
реализация кофе |
круглогодично |
|
|
Л-к-279 |
ул. Соликамская, 8 (коридор здания поликлиники, литер А (ГБУЗ АО "Городская поликлиника № 2") |
автомат по продаже медицинских бахил |
реализация медицинских бахил |
круглогодично |
|
|
Л-к-280 |
ул. Соликамская, 8 (коридор здания поликлиники литер Д (ГБУЗ АО "Городская поликлиника № 2") |
автомат по продаже медицинских бахил |
реализация медицинских бахил |
круглогодично |
|
|
Л-к-281 |
ул. Аксакова, 6, кор. 1 помещение 1 педиатрическое отделение № 2, здание поликлиники, литер А (ГБУЗ АО "Городская поликлиника № 2") |
автомат по продаже медицинских бахил |
реализация медицинских бахил |
круглогодично |
|
|
Л-к-282 |
ул. Бабаевского, 35, кор. 4 (поликлиническое отделение, здание поликлиники, литер А) |
автомат по продаже медицинских бахил |
реализация медицинских бахил |
круглогодично |
|
|
Л-к-283 |
земельный участок по адресу ул. Анри Барбюса, 29 "в", из категории земель населенных пунктов, кадастровый номер 30: 12:020009:328 |
торговый павильон |
реализация мучных, кулинарных и кондитерских изделий, мороженого, прохладительных |
круглогодично |
|
|
Л-к-284 |
ул. Зеленая, 76, комната № 6 (столовая), помещение № 3, первый этаж здания, литер А (здание ГБОУ АО СПО "Астраханский государственный политехнический колледж") |
прилавок, холодильное оборудование |
реализация мучных, кулинарных изделий и прохладительных напитков |
круглогодично |
|
|
Л-к-285 |
ул. Медиков, 6, помещение № 2, комната № 2 (вестибюль), первый этаж, литер А Блок I (здание ГБУЗ АО "Областная детская клиническая больница им. Н.Н. Силищевой") |
торговый аппарат |
реализация горячих напитков |
круглогодично |
|
|
Л-к-286 |
ул. Медиков, 6, помещение № 2, комната № 2 (вестибюль), первый этаж, литер А Блок I (здание ГБУЗ АО "Областная детская клиническая больница им. Н.Н. Силищевой") |
торговый аппарат |
реализация мучных изделий |
круглогодично |
|
|
Л-к-287 |
ул. Косм. В. Комарова, 67 "а", помещение 2, комната № 10 (тамбур), первый этаж, литер М-4 (здание ГБУЗ АО "Городская клиническая больница №4 им. В.И. Ленина") |
автомат по продаже медицинских бахил |
реализация медицинских бахил |
круглогодично |
|
|
Л-к-288 |
ул. Украинская, 12, помещение 101, комната № 2 (коридор), первый этаж, литер А (здание ГБУЗ АО "Городская клиническая больница № 4 им. В.И. Ленина") |
автомат по продаже медицинских бахил |
реализация медицинских бахил |
круглогодично |
|
|
Л-к-289 |
ул. Косм. В. Комарова, 130, помещение 001, комната № 14 (коридор), первый этаж, литер А (здание ГБУЗ АО "Городская клиническая больница № 4 им. В.И. Ленина") |
автомат по продаже медицинских бахил |
реализация медицинских бахил |
круглогодично |
|
|
Л-к-290 |
ул. Украинская, 5, помещение 2, комната № 13 (тамбур), первый этаж, литер А А' (здание ГБУЗ АО "Городская клиническая больница № 4 им. В.И. Ленина") |
автомат по продаже медицинских бахил |
реализация медицинских бахил |
круглогодично |
|
|
Л-к-291 |
ул. Украинская, 5, литер А А', лестничная клетка II, (здание ГБУЗ АО "Городская клиническая больница № 4 им. В.И. Ленина") |
автомат по продаже медицинских бахил |
реализация медицинских бахил |
круглогодично |
|
|
Л-к-292 |
ул. Татищева, 2, помещение № 9, комната № 1 (вестибюль), первый этаж, литер 4 (здание ГБУЗ АО "Александро-Мариинская областная клиническая больница") |
торговый автомат |
реализация кофе и кофейных напитков |
круглогодично |
|
|
Л-к-293 |
ул. Татищева, 2, помещение № 9, комната № 1 (вестибюль), первый этаж, литер 4 (здание ГБУЗ АО "Александро-Мариинская областная клиническая больница") |
торговый автомат |
реализация снековой продукции |
круглогодично |
|
|
Л-к-294 |
ул. Татищева, 2, помещение №2, комната №2 (вестибюль), первый этаж, литер 37 (здание ГБУЗ АО «Александро-Мариинская областная клиническая больница») |
торговый автомат |
реализация кофе и кофейных напитков |
круглогодично |
|
|
Л-к-295 |
ул. Татищева, 2, помещение №2, комната №2 (вестибюль), первый этаж, литер 37 (здание ГБУЗ АО «Александро-Мариинская областная клиническая больница») |
торговый автомат |
реализация снековой продукции |
круглогодично |
|
|
Л-к-296 |
ул. Анри Барбюса, д.16, помещение № 4, комната № 18 (торговый зал), третий этаж, литер 1 (здание ГАУК АО «Астраханский государственный театр Оперы и Балета») |
прилавок |
реализация сувенирной продукции |
круглогодично |
|
|
Л-к-297 |
ул. Анри Барбюса, д.16, помещение № 4, комната № 59 (вестибюль), третий этаж, литер 1 (здание ГАУК АО «Астраханский государственный театр Оперы и Балета») |
прилавок |
реализация печатной продукции |
круглогодично |
|
|
Л-к-298 |
ул. Анри Барбюса, д.16, помещение №14, комната № 45 (торговый зал), третий этаж, литер 1 (здание ГАУК АО «Астраханский государственный театр Оперы и Балета») |
торговый автомат |
реализация горячих напитков |
круглогодично |
|
|
Л-к-299 |
ул. Анри Барбюса, д.16, помещение № 14, комната № 45 (торговый зал), третий этаж, литер 1 (здание ГАУК АО «Астраханский государственный театр Оперы и Балета») |
торговый автомат |
реализация снековой продукции |
круглогодично |
|
|
Л-к-300 |
ул. Татищева, д. 2а, помещение № 1, комната № 34 (холл), первый этаж, литер 27 (здание ГБУЗ АО «Областная детская клиническая больница им. Н.Н. Силищевой») |
торговый автомат |
реализация медицинских бахил |
круглогодично |
|
|
Л-к-301 |
ул. Татищева, д. 2а, помещение № 1, комната № 34 (холл), первый этаж, литер 27 (здание ГБУЗ АО «Областная детская клиническая больница имени Н.Н. Силищевой») |
торговый аппарат |
реализация горячих напитков |
круглогодично |
|
|
Л-к-302 |
ул. Татищева, д. 2а, помещение № 1, комната № 34 (холл), первый этаж, литер 27 (здание ГБУЗ АО «Областная детская клиническая больница имени Н.Н. Силищевой») |
торговый аппарат |
реализация снековой продукции |
круглогодично |
|
| Л-к-303 | ул. Ихтиологическая, 1, литер А, 1 этаж (холл) (здание ГБУЗ АО «Областная детская клиническая больница имени Н.Н. Силищевой») | торговый автомат | реализация медицинских бахил | круглогодично | |
| Л-к-304 | ул. Аксакова, 6/1 (1 этаж, подсобное (№19) (здание ГБУЗ АО "Городская поликлиника №2") | торговый автомат | реализация медицинских бахил | круглогодично | |
| Л-к-305 | ул. Бабаевского, 35/4 (коридор (№24) (здание ГБУЗ АО "Городская полтклиника №2") | торговый автомат | реализация медицинских бахил | круглогодично | |
| Л-к-306 | ул. Анри Барбюса, д. 16, помещение №49 (холл) здания ГАУК АО «Астраханский театр Оперы и Балета» | прилавок | реализация прохладительных и кофейных напитков, хлебобулочных и кондитерских изделий | круглогодично | |
| Л-к-307 | ул. Татищева, 18а, литер Б, 1 этаж | витрина | реализация канцелярских товаров | круглогодично | |
| Л-к-308 | ул. Анри Барбюса, д. 16, помещение №45 (торговый зал) здания ГАУК АО «Астраханский театр Оперы и Балета» | торговый автомат | реализация горячих напитков | круглогодично | |
| Л-к-309 | ул. Татищева, 2, помещение №1, комната № 59 (холл), первый этаж, литер 8 (здание ГБУЗ АО АМОКБ) | торговый автомат | реализация кофе, кофейных напитков | круглогодично | |
| Л-к-310 | ул. Татищева, 2, помещение №1, комната № 59 (холл), первый этаж, литер 8 (здание ГБУЗ АО АМОКБ) | торговый автомат | реализация снековой продукции | круглогодично |
РАЗДЕЛ 3
Объекты по оказанию услуг, расположенные на земельных участках, в зданиях и сооружениях, находящихся в муниципальной собственности, а также земельных участках, строениях, сооружениях, государственная собственность на которые не разграничена
ЛЕНИНСКИЙ РАЙОН
|
||||||||||||||||||||||||||||||||||||||||||||||||||||||||||||||||||||||||||||||||||||||||||||||||||||||||||||||||||||||||||||||||||||||||||||||||||||||||||||||||||||||||
|
РАЗДЕЛ 4 Нестационарные торговые объекты, расположенные на земельных участках при наличии заключенного до 1 марта 2015 года, в установленном законом порядке, договора аренды земельного участка на территории города Астрахани для эксплуатации НТО |
|||||
| № | Адрес объекта | Вид объекта по оказанию услуг | Специализация объекта услуг | Период размещения объекта | Наименование |
| Прочие услуги | |||||
| Л-к-336 | ул. Энергетическая, 11а | киоск | реализация печатной продукции | круглогодично | выкопировка |
| Л-к-337 | ул. Бульварная, 13 (30:12:020058:86) | павильон | реализация продовольственных товаров | круглогодично | |
| Л-к-338 | ул. Жилая | павильон | реализация продовольственных товаров | круглогодично |
ИП Оруджалиева Е.А. срок: 18.06.2020-18.06.2027 г. Астрахань, ул. 2-яЗеленгинская,1, к.4 |
| Л-к-339 | ул. Жилая, 12 | павильон | реализация продовольственных товаров | круглогодично | |
| Л-к-340 | ул. Яблочкова, 22 (30:12:020122:12) | павильон | реализация цветов | круглогодично | |
| Л-к-341 | ул. 28 Армии, 14Г | павильон | реализация продовольственных товаров | круглогодично | выкопировка |
*объекты, размещаемые в рамках инвестиционных, концессионных соглашений



