- Город
- Администрация
- Глава муниципального образования «Городской округ город Астрахань»
- Структура администрации
- Управление информационной политики администрации муниципального образования "Город Астрахань"
- Деятельность управления
- Жилищное управление
- Информация для УК и ТСЖ
- Информация для уполномоченных на решение задач в области ГОЧС
- Информация и объявления
- Методические рекомендации
- Отдел мобилизационной подготовки
- Отдел по гражданской обороне и черезвычайным ситуациям
- Отдел по организации и проведению оценки технического состояния зданий, строений, сооружений и деятельности комиссий
- Отчет за год
- Правовое управление
- Проекты муниципальных правовых актов в области ГОЧС
- Управление бухгалтерского учета и отчетности
- Управление внутреннего муниципального финансового контроля администрации города
- Управление делами
- Управление дорожного хозяйства и транспорта администрации муниципального образования "Городской округ город Астрахань"
- Управление земельными ресурсами
- Управление земельными ресурсами
- Управление контроля и документооборота
- Управление культуры
- Управление муниципального имущества
- Управление муниципального контроля
- Управление муниципальной службы и кадров
- Управление муниципальных закупок и торгов
- Управление образования
- Управление по архитектуре и градостроительству
- Управление по капитальному строительству администрации муниципального образования «Город Астрахань»
- Управление по коммунальному хозяйству и благоустройству
- Управление по связям с общественностью
- Управление по стратегическому развитию и экономическому анализу
- Управление торговли и поддержки предпринимательства администрации муниципального образования "Городской округ город Астрахань"
- Антимонопольный комплаенс
- Выдача, предоставление, продление срока действия разрешения на право организации розничного рынка на территории МО «ГОГА»
- Контакты управления
- Новости
- Отдел регулирования торговой деятельности
- Блок-схема по процедуре получения разрешения на размещение НТО на территории МО «Городской округ город Астрахань»
- Внимание! Смена реквизитов по оплате в рамках договоров на размещение НТО
- Инструкция по участию в электронном аукционе на право размещения НТО на территории МО "Город Астрахань"
- Реестр рынков на территории МО "Городской округ город Астрахань"
- Реестр ярмарок, организованных на территории МО "Городской округ город Астрахань"
- Схема размещения нестационарных торговых объектов на территории МО "Город Астрахань"
- Реестр сезонных (летних) кафе, размещенных на территории муниципального образования "Городской округ город Астрахань"
- Типовые архитектурно-художественные решения внешнего вида нестационарных торговых объектов на территории МО "Город Астрахань"
- Выдача, предоставление, продление срока действия разрешения на право организации розничного рынка на территории МО «ГОГА»
- Контакты
- Нормативные документы отдела
- Объявления
- Блок-схема по процедуре получения разрешения на размещение НТО на территории МО «Городской округ город Астрахань»
- Отчет о деятельности управления
- Оценка регулирующего воздействия
- Положение о работе управления
- Противодействие коррупции
- Реестр ярмарок, организованных на территории МО "Городской округ город Астрахань"
- Реестры мини-ярмарок "Зеленые ряды" и сельскохозяйственных площадок
- Структура управления
- Отдел поддержки предпринимательства
- Управление транспорта и пассажирских перевозок
- Управление экономического развития администрации муниципального образования "Городской округ город Астрахань"
- Финансово-казначейское управление
- Это надо знать!
- Муниципальные предприятия и учреждения
- Комиссии
- Отчеты администрации
- Положение об администрации
- Руководители
- Полномочия главы муниципального образования "Городской округ город Астрахань"
- Доклады по оценке эффективности ОМСУ
- Официально
- Информация
- Обращения граждан
- Интернет-приемная
- Контакты
Тема
Советский район (-)
РАЗМЕЩЕНИЯ НЕСТАЦИОНАРНЫХ ТОРГОВЫХ ОБЪЕКТОВ НА ТЕРРИТОРИИ
МУНИЦИПАЛЬНОГО ОБРАЗОВАНИЯ "ГОРОДСКОЙ ОКРУГ ГОРОД АСТРАХАНЬ"
по состоянию на 15 октября 2024 года
РАЗДЕЛ 1
Нестационарные торговые объекты, расположенные на земельных участках, в зданиях и сооружениях, находящихся в муниципальной собственности, а также земельных
участках, строениях, сооружениях, государственная
собственность на которые не разграничена
СОВЕТСКИЙ РАЙОН
|
№ |
Адрес нестационарного торгового объекта |
Вид нестационарного торгового объекта |
Специализация нестационарного торгового объекта |
Период размещения нестационарного торгового объекта |
Наименование и адрес регистрации хозяйствующего субъекта (юр.лицо, ИП) |
|
|
Реализация кваса |
||||||
|
С-с-1 |
ул. Боевая, 83"б" |
квасной аппарат не более 2 кв.м. |
реализация кваса |
круглогодично с периодом функционирования весна - осень |
||
|
С-с-2 |
ул. Боевая, 127 |
квасной аппарат не более 2 кв.м. |
реализация кваса |
круглогодично с периодом функционирования весна - осень |
||
|
С-с-3 |
ул. Боевая, 146 |
квасной аппарат не более 2 кв.м. |
реализация кваса |
круглогодично с периодом функционирования весна - осень |
|
|
|
С-с-4 |
ул. Боевая, 134 (магазин "Добрострой") |
квасной аппарат не более 2 кв.м. |
реализация кваса |
круглогодично с периодом функционирования весна - осень |
||
|
С-с-5
|
ул. Кубанская, 25 "б" |
квасной аппарат не более 2 кв.м. |
реализация кваса |
круглогодично с периодом функционирования весна - осень |
||
|
С-с-6 |
ул. Кубанская, 66 |
квасной аппарат не более 2 кв.м. |
реализация кваса |
круглогодично с периодом функционирования весна - осень |
|
|
|
С-с-7 |
ул. Кубанская/ Н. Островского, 122 "а" |
квасной аппарат не более 2 кв.м. |
реализация кваса |
круглогодично с периодом функционирования весна - осень |
||
|
С-с-8 |
ул. Н. Островского, 60 "п" |
квасной аппарат не более 2 кв.м. |
реализация кваса |
круглогодично с периодом функционирования весна - осень |
||
|
С-с-9 |
ул. Н. Островского, 67/ Бэра |
квасной аппарат не более 2 кв.м. |
реализация кваса |
круглогодично с периодом функционирования весна - осень |
||
|
С-с-10 |
ул. Н. Островского, 123 |
квасной аппарат не более 2 кв.м. |
реализация кваса |
круглогодично с периодом функционирования весна - осень |
||
|
С-с-11 |
ул. Н. Островского, 146 (р-н парка "Планета") |
квасной аппарат не более 2 кв.м. |
реализация кваса |
круглогодично с периодом функционирования весна - осень |
|
|
|
С-с-12 |
ул. Н. Островского, 146 (р-н магазина "Лента") |
квасной аппарат не более 2 кв.м. |
реализация кваса |
круглогодично с периодом функционирования весна - осень |
||
|
С-с-13 |
ул. Н. Островского, 148 "э" |
квасной аппарат не более 2 кв.м. |
реализация кваса |
круглогодично с периодом функционирования весна - осень |
||
|
С-с-14 |
ул. Немова (остановка "Завод 30 лет Октября") |
квасной аппарат не более 2 кв.м. |
реализация кваса |
круглогодично с периодом функционирования весна - осень |
|
|
|
С-с-15 |
ул. Автомобильная, 34 (таксопарк) |
квасной аппарат не более 2 кв.м. |
реализация кваса |
круглогодично с периодом функционирования весна - осень |
||
|
С-с-16 |
ул. Наб. Прив. затона /Менжинского, 3 |
квасной аппарат не более 2 кв.м. |
реализация кваса |
круглогодично с периодом функционирования весна - осень |
||
|
С-с-17 |
ул. Рождественского 2в |
квасной аппарат не более 2 кв.м. |
реализация кваса |
круглогодично с периодом функционирования весна - осень |
||
|
С-с-18 |
пр. Воробьева, 7 |
киоск (стакан) | реализация кваса |
круглогодично с периодом функционирования весна - осень |
выкопировка | |
| С-с-19 | ул. Н. Островского, 154/2 | киоск (стакан) | реализация кваса |
круглогодично с периодом функционирования весна - осень |
выкопировка | |
| С-с-20 | ул. Боевая, 41а | тележка | реализация кваса |
круглогодично с периодом функционирования весна - осень |
выкопировка | |
|
Реализация мороженого, прохладительных напитков, попкорна, сладкой ваты, вареной кукурузы |
||||||
|
С-с-21 |
ул. Н. Островского, 152 |
оборудование для сладкой ваты |
реализация сладкой ваты |
круглогодично с периодом функционирования весна - осень |
||
|
С-с-22 |
ул. Боевая, 45/ Ахшарумова, 8 |
холодильное оборудование не более 5 кв.м. |
реализация мороженого, прохладительных напитков |
круглогодично с периодом функционирования весна - осень |
||
|
С-с-23 |
ул. Боевая, 53 (парк "Дружба") |
холодильное оборудование оборудование для ваты, попкорна не более 5 кв.м. |
реализация мороженого, прохладительных напитков, сладкой ваты, попкорна |
круглогодично с периодом функционирования весна - осень |
||
|
С-с-24 |
ул. Звездная, 7/1 |
холодильное оборудование не более 5 кв.м. |
реализация мороженого, прохладительных напитков |
круглогодично с периодом функционирования весна - осень |
||
|
С-к-25 |
ул. Власова/ Амурская (бульвар) |
киоск |
реализация мороженого |
круглогодично |
ООО «Славица» Срок: 16.12.2022- 16.12.2029 Астраханская обл. с. Солянка, ул. Магистральная, 28 |
|
|
С-с-26 |
ул. Адм. Нахимова, 60 "б" |
холодильное оборудование не более 5 кв.м. |
реализация мороженого, прохладительных напитков |
круглогодично с периодом функционирования весна - осень |
||
|
С-с-27 |
ул. Адм. Нахимова, 141 (рег. палата) |
холодильное оборудование не более 5 кв.м. |
реализация мороженого, прохладительных напитков |
круглогодично с периодом функционирования весна - осень |
||
|
С-с-28 |
пр. Энергетиков |
холодильное оборудование не более 5 кв.м. |
реализация мороженого, прохладительных напитков |
круглогодично с периодом функционирования весна - осень |
||
|
С-с-29 |
ул. Панфилова, 42 (пляжная зона) |
холодильное оборудование не более 5 кв.м. |
реализация мороженого, прохладительных напитков |
круглогодично с периодом функционирования весна - осень |
||
|
С-к-30 |
ул. Наб. Прив. затона, 43/ Донецкая, 2 |
киоск |
реализация мороженого |
круглогодично |
|
|
|
С-с-31 |
ул. Космонавтов, 8 |
холодильное оборудование не более 5 кв.м. |
реализация мороженого, прохладительных напитков |
круглогодично с периодом функционирования весна - осень |
||
|
С-с-32 |
ул. Рождественского (1 очередь кладбища) |
холодильное оборудование не более 5 кв.м. |
реализация мороженого, прохладительных напитков |
круглогодично с периодом функционирования весна - осень |
||
|
С-с-33 |
ул. Рождественского (2 очередь кладбища) |
холодильное оборудование не более 5 кв.м. |
реализация мороженого, прохладительных напитков |
круглогодично с периодом функционирования весна - осень |
||
|
С-с-34 |
ул. Адм. Нахимова, 125 |
киоск "Газ-вода" |
реализация прохладительных напитков |
круглогодично с периодом функционирования весна - осень |
ИП Сеитов Р.Ш. Срок: 01.05.2022-31.10.2026 г. Астрахань, ул. Рылеева, д. 82, корп. 1, кв. 21 |
|
|
С-с-35
|
ул. Боевая, 51д |
киоск "Газ-вода" |
реализация прохладительных напитков |
круглогодично с периодом функционирования весна - осень |
ИП Сеитов Р.Ш. Срок: 01.05.2022-31.10.2026 г. Астрахань, ул. Рылеева, д. 82, корп. 1, кв. 21 |
|
| С-к-36 |
ул. Наб Прив. Затона, 13, корп.2 |
автолавка | реализация напитков | круглогодично |
ИП Комендантова Н.Н. Срок: 06.06.2019-06.06.2026 Астраханская обл., Икрянинский р-н, пос.Красные Баррикады, ул. Энергетическая, 5 |
|
| С-с-37 | ул. Наб. Приволжского затона, 13 корп. 2 | тележка | реализация сладкой ваты, попкорна |
круглогодично с периодом функционирования весна - осень |
|
|
| С-с-38 | ул. Наб. Приволжского затона, 13 корп. 2 | тележка | реализация сладкой ваты, попкорна |
круглогодично с периодом функционирования весна - осень |
|
|
| С-с-39 | ул. Наб. Приволжского затона, 13 Б/2 | тележка | реализация мороженого |
круглогодично с периодом функционирования весна - осень |
ИП Ширяева О.А. Срок: 01.05.2022-30.09.2026 г. Астрахань, ул. Б. Алексеева, д. 67, кв. 115 |
|
| С-к-40 | ул. Кубанская, 66 | киоск | реализация мороженого | круглогодично |
ООО "Славица" Срок: 20.12.2021-20.12.2028 Астраханская область, Наримановский район, с. Солянка, ул. Магистральная, 28 |
|
| С-к-41 | ул. Н. Островского, 66 | киоск | реализация мороженого | круглогодично |
ООО "Славица" Срок:20.09.2022-20.09.2029 Астраханская область, Наримановский район, с. Солянка, ул. Магистральная, 28 |
|
| С-с-42 | ул. Наб. Прив. Затона, 13 корп. 2 | вендинговый аппарат | реализация напитков |
круглогодично с периодом функционирования весна - осень |
ИП Семенов В.Б. Срок: 01.04.2023-31.10.2029 с периодом размещения 01.04-31.10. г. Астрахань, ул. Романтическая, д.3 |
|
| С-с-43 | ул. Н. Островского, 156 корп. 3А | вендинговый аппарат | реализация напитков |
круглогодично с периодом функционирования весна - осень |
ИП Семенов В.Б. Срок: 05.06.2023-31.10.2029 с периодом размещения 01.04-31.10. г. Астрахань, ул. Романтическая, д.3 |
|
| С-с-44 | ул. Звездная, 47/1 | вендинговый аппарат | реализация напитков |
круглогодично с периодом функционирования весна - осень |
|
|
| С-к-45 | ул. Б. Хмельницкого, 51 | киоск | реализация мороженого | круглогодично | ||
| С-к-46 | ул. Н. Островского, 146 «б» | павильон | реализация мороженого, напитков | круглогодично | выкопировка | |
| С-к-47 | ул. Бакинская/ Кирова, 54 | павильон | реализация мороженого, напитков | круглогодично | выкопировка | |
| С-к-48 | ул. Ген. Армии Епишева, 18/ул. Власова, 2 | киоск | реализация мороженого | круглогодично |
|
|
| С-к-49 | ул. Космонавтов, 5 | киоск | реализация мороженого | круглогодично |
|
|
| С-к-50 | ул. Боевая, 72 | киоск | реализация мороженого | круглогодично | выкопировка | |
| С-к-51 | ул. Боевая, 30 | киоск | реализация напитков | круглогодично |
ИП Лихоманов М.Д. Срок: 13.02.2024-13.02.2031 г. Астрахань, ул. Кубанская, 70, корп. 1, кв. 38 |
|
| С-к-52 | ул. 1-я Литейная | киоск | реализация мороженого | круглогодично | ||
| С-к-53 | ул. Ахшарумова, 78 | киоск | реализация мороженого | круглогодично | выкопировка | |
| С-к-54 | ул. Космонавтов, 5 | киоск | реализация мороженого | круглогодично |
ООО "Славица" Срок: 25.07.2024- 25.07.2031 Астраханская обл. с. Солянка, ул. Магистральная, 28 |
|
| С-с-55 | пр. Воробьева, 7а (район Парка Знаний, рядом с хоз. корпусом) | тележка | реализация сладкой ваты, попкорна | круглогодично с периодом функционирования весна - осень | ||
| С-к-56 | проезд Воробьева, 7г | киоск | реализация мороженого | круглогодично | ||
|
Реализация искусственных цветов на кладбище |
||||||
|
С-к-57 |
ул. Рождественского, 20 участок № 1 |
стеллаж |
реализация искусственных цветов |
круглогодично |
ИП Харина Н.Л. Срок: с 28.10.2019 по 28.10.2026, г.Астрахань, ул.Звездная, д.1/33,кв.25 |
|
|
С-к-58 |
ул. Рождественского, 20 участок № 1 |
стеллаж |
реализация искусственных цветов |
круглогодично |
ИП Кондакова Н.В., Срок: с 28.10.2019 по 28.10.2026, г.Астрахань, ул. Рыбацкая, д.11 |
|
|
С-к-59 |
ул. Рождественского, 20 участок № 1 |
стеллаж |
реализация искусственных цветов |
круглогодично |
ИП Березкин С.В. Срок: с 28.10.2019 по 28.10.2026, Астраханская обл., Приволжский район, с.Евпраксино, мкр.Юность, д.1, кв.6 |
|
|
С-к-60 |
ул. Рождественского, 20 участок № 1 |
стеллаж |
реализация искусственных цветов |
круглогодично |
||
|
С-к-61 |
ул. Рождественского, 20 участок № 1 |
стеллаж |
реализация искусственных цветов |
круглогодично |
|
|
|
С-к-62 |
ул. Рождественского, 20 участок № 1 |
стеллаж |
реализация искусственных цветов |
круглогодично |
ИП Миляева А.В. Срок: с 28.10.2019 по 28.10.2026, г. Астрахань, ул. Куйбышева, д.21,кв.15 |
|
|
С-к-63 |
ул. Рождественского, 20 участок № 1 |
стеллаж |
реализация искусственных цветов |
круглогодично |
ИП Миляева А.В. Срок: с 28.10.2019 по 28.10.2026, г. Астрахань, ул. Куйбышева, д.21,кв.15 |
|
|
С-к-64 |
ул. Рождественского, 20 участок № 1 |
стеллаж |
реализация искусственных цветов |
круглогодично |
ИП Миляева А.В. Срок: с 28.10.2019 по 28.10.2026, г. Астрахань, ул. Куйбышева, д.21,кв.15 |
|
|
С-к-65 |
ул. Рождественского, 20 участок № 1 |
стеллаж |
реализация искусственных цветов |
круглогодично |
ИП Канова Т.Л. Срок: с 28.10.2019 по 28.10.2026, , г. Астрахань, ул.Баумана, д.13, кор.4, кв.7 |
|
|
С-к-66 |
ул. Рождественского, 20 участок № 1 |
стеллаж |
реализация искусственных цветов |
круглогодично |
ИП Турченко О.М. Срок: с 28.10.2019 по 28.10.2026, г. Астрахань, ул.Б.Алексеева, д.67, кв.77 |
|
|
С-к-67 |
ул. Рождественского, 20 участок № 1 |
стеллаж |
реализация искусственных цветов |
круглогодично |
ИП Турченко О.М. Срок: с 28.10.2019 по 28.10.2026, г. Астрахань, ул.Б.Алексеева, д.67, кв.77 |
|
|
С-к-68 |
ул. Рождественского, 20 участок № 1 |
стеллаж |
реализация искусственных цветов |
круглогодично |
ИП Турченко О.М. Срок: с 28.10.2019 по 28.10.2026, г. Астрахань, ул.Б.Алексеева, д.67, кв.77 |
|
|
С-к-69 |
ул. Рождественского, 20 участок № 1 |
стеллаж |
реализация искусственных цветов |
круглогодично |
ИП Турченко О.М. Срок: с 28.10.2019 по 28.10.2026, г. Астрахань, ул.Б.Алексеева, д.67, кв.77 |
|
|
С-к-70 |
ул. Рождественского, 20 участок № 1 |
стеллаж |
реализация искусственных цветов |
круглогодично |
ИП Нефедова Н.Н. Срок: с 28.10.2019 по 28.10.2026, г.Астрахань, ул. 28 Армии, д.10, кв.36 |
|
|
С-к-71 |
ул. Рождественского, 20 участок № 1 |
стеллаж |
реализация искусственных цветов |
круглогодично |
ИП Нефедова Н.Н. Срок: с 28.10.2019 по 28.10.2026, г.Астрахань, ул. 28 Армии, д.10, кв.36 |
|
|
С-к-72 |
ул. Рождественского, 20 участок № 1 |
стеллаж |
реализация искусственных цветов |
круглогодично |
ИП Нефедова Н.Н. Срок: с 28.10.2019 по 28.10.2026, г.Астрахань, ул. 28 Армии, д.10, кв.36 |
|
|
С-к-73 |
ул. Рождественского, 20 участок № 1 |
стеллаж |
реализация искусственных цветов |
круглогодично |
ИП Дудоладова Т.Г Срок: с 28.10.2019 по 28.10.2026, , г.Астрахань, ул.Кубанская, д.25,кв.9 |
|
|
С-к-74 |
ул. Рождественского, 20 участок № 1 |
стеллаж |
реализация искусственных цветов |
круглогодично |
ИП Ткебучава Н.А., Срок: с 28.10.2019 по 28.10.2026, г.Астрахань, ул.Соколова, 9 |
|
|
С-к-75 |
ул. Рождественского, 20 участок № 1 |
стеллаж |
реализация искусственных цветов |
круглогодично |
ООО «Прометей» Срок: с 28.10.2019 по 28.10.2026, г.Астрахань, ул. 11 Кр.Армии, д.4, кор.1 |
|
|
С-к-76 |
ул. Рождественского, 20 участок № 1 |
стеллаж |
реализация искусственных цветов |
круглогодично |
ООО «Прометей» Срок: с 28.10.2019 по 28.10.2026, г.Астрахань, ул. 11 Кр.Армии, д.4, кор.1 |
|
|
С-к-77 |
ул. Рождественского, 20 участок № 1 |
стеллаж |
реализация искусственных цветов |
круглогодично |
ООО «Прометей» Срок: с 28.10.2019 по 28.10.2026, г.Астрахань, ул. 11 Кр.Армии, д.4, кор.1 |
|
|
С-к-78 |
ул. Рождественского, 20 участок № 1 |
стеллаж |
реализация искусственных цветов |
круглогодично |
ООО «Прометей» Срок: с 28.10.2019 по 28.10.2026, г.Астрахань, ул. 11 Кр.Армии, д.4, кор.1 |
|
|
С-к-79 |
ул. Рождественского, 20 участок № 1 |
стеллаж |
реализация искусственных цветов |
круглогодично |
ИП Виноградов А.П. Срок: с 28.10.2019 по 28.10.2026, г.Астрахань, ул.Полякова, д.17,кв.89 |
|
|
С-к-80 |
ул. Рождественского, 20 участок № 1 |
стеллаж |
реализация искусственных цветов |
круглогодично |
ИП Виноградов А.П Срок: с с 28.10.2019 по 28.10.2026, . г.Астрахань, ул.Полякова, д.17,кв.89 |
|
|
С-к-81 |
ул. Рождественского, 20 участок № 1 |
стеллаж |
реализация искусственных цветов |
круглогодично |
ИП Сухотерина Н.Г. Срок: с 28.10.2019 по 28.10.2026, г.Астрахань, ул. Н.Островского, д.74, кор.1, кв.58 |
|
|
С-к-82 |
ул. Рождественского, 20 участок № 1 |
стеллаж |
реализация искусственных цветов |
круглогодично |
ИП Березкин С.В. Срок: с 28.10.2019 по 28.10.2026, Астраханская обл., Приволжский район, с.Евпраксино, мкр.Юность, д.1, кв.6 |
|
|
С-к-83 |
ул. Рождественского, 22 участок № 2 |
павильон |
реализация искусственных цветов |
круглогодично |
||
|
С-к-84 |
ул. Рождественского, 22 участок № 3 |
палатка |
реализация искусственных цветов |
круглогодично |
||
| С-к-85 | ул. Рождественского, 20 | стеллаж | реализация искусственных цветов | круглогодично |
ИП Канова Т.Л. Срок:13.07.2021-13.07.2028 г. Астрахань, ул.Баумана, д.13,корп.4, кв.7 |
|
| С-к-86 | ул. Рождественского, 20 | стеллаж | реализация искусственных цветов | круглогодично |
ИП Канова Т.Л. Срок:13.07.2021-13.07.2028 г. Астрахань, ул.Баумана, д.13,корп.4, кв.7 |
|
|
Прочие товары |
||||||
|
С-к-87 |
ул. 1-я Котельная, 2 "а" |
киоск |
реализация продовольственных товаров |
круглогодично |
|
|
|
С-к-88 |
ул.1-я Котельная, 2 «а» |
киоск |
реализация продовольственных товаров |
круглогодично |
||
|
С-к-89 |
ул. Н. Островского, 162 (на остановке) |
павильон |
реализация продовольственных товаров |
круглогодично |
ИП Султанов Р.Д., срок: 31.01.2017-30.01.2066, г. Астрахань, ул.Энергетическая, д.19, кв.5 |
|
|
С-к-90 |
ул. Адм. Нахимова, 62 |
павильон |
реализация продовольственных товаров |
круглогодично |
|
|
|
С-к-91 |
пр. Воробьева, 12, кор. 1/1
|
павильон |
реализация продовольственных товаров |
круглогодично |
ИП Султанов Р.Д. Срок: 09.02.2017- 08.02.2066 г. Астрахань, ул. Краматорская, д. 40 |
|
|
С-к-92 |
ул. Александрова, 6 |
павильон |
реализация продовольственных товаров |
круглогодично |
ИП Султанов Р.Д., срок: 30.06.2020-30.06.2027, г. Астрахань, ул.Энергетическая, д.19, кв.5 |
|
|
С-к-93 |
ул. Кубанская, 66 |
павильон |
реализация продовольственных товаров |
круглогодично |
ИП Султанов Р.Д., срок: 08.02.2017-07.02.2066, г. Астрахань, ул.Энергетическая, д.19, кв.5 |
|
| С-к-94 | ул. Звездная (30:12:030833:47) | павильон | реализация продовольственных товаров | круглогодично | выкопировка | |
|
С-к-95 |
ул. Б. Хмельницкого, 51/Бэра |
павильон |
реализация продовольственных товаров |
круглогодично |
ИП Султанов Р.Д., срок: 08.02.2017-07.02.2066, г. Астрахань, ул.Энергетическая, д.19, кв.5 |
|
|
С-к-96 |
ул. Кубанская, 66 |
киоск |
реализация печатной продукции |
круглогодично |
|
|
|
С-к-97
|
ул. Боевая, 46 |
киоск |
реализация печатной продукции |
круглогодично |
ИП Хабибулин Ш.А. Срок: 22.07.2024-22.07.2031 г. Астрахань, ул. Боевая, д. 38, кв. 7 |
|
|
С-к-98
|
ул. Н. Островского/ пр. Юговосточный |
киоск |
реализация печатной продукции |
круглогодично |
||
|
С-к-99
|
ул. Н. Островского, 119 |
киоск |
реализация печатной продукции |
круглогодично |
||
|
С-к-100 |
пр. Воробьева, 12м |
павильон |
прочие товары, печатная продукция |
круглогодично |
||
|
С-к-101
|
ул. Н. Островского, 162 |
киоск |
реализация печатной продукции |
круглогодично |
||
|
С-к-102
|
ул. Н. Островского, 154 |
киоск |
реализация печатной продукции |
круглогодично |
||
|
С-к-103
|
ул. Кирова/Кубанская |
киоск |
реализация печатной продукции |
круглогодично |
||
|
С-к-104 |
ул. Космонавтов, 8 |
киоск |
реализация печатной продукции |
круглогодично |
||
|
С-к-105 |
ул. Б. Хмельницкого/ Боевая |
киоск |
реализация печатной продукции |
круглогодично |
|
|
|
С-к-106 |
ул. Боевая, 75 |
киоск |
реализация печатной продукции |
круглогодично |
||
|
С-к-107
|
ул. Адм. Нахимова, 38 |
киоск |
реализация печатной продукции |
круглогодично |
||
|
С-к-108 |
ул. Адм. Нахимова, 125 |
павильон |
реализация печатной продукции |
круглогодично |
||
|
С-к-109 |
пер. Седьмой (пос. Советский) |
киоск |
реализация печатной продукции |
круглогодично |
||
|
С-к-110 |
ул. Б. Хмельницкого/ Ген. Епишева |
киоск |
реализация печатной продукции |
круглогодично |
||
|
С-к-111 |
ул. Адм. Нахимова (морской завод) |
киоск |
реализация печатной продукции |
круглогодично |
||
|
С-к-112 |
ул. Бэра |
киоск |
реализация печатной продукции |
круглогодично |
||
|
С-к-113 |
пр. Воробьева |
киоск |
реализация печатной продукции |
круглогодично |
||
|
С-к-114
|
ул. Адм. Нахимова (школа милиции) |
киоск |
реализация печатной продукции |
круглогодично |
||
|
С-к-115
|
ул. Кубанская, 23 п |
киоск |
реализация печатной продукции |
круглогодично |
||
|
С-к-116 |
ул. Звездная, 51, кор. 1 |
павильон |
реализация продовольственных товаров |
круглогодично |
ИП Тетерятников А.В. 09.12.2019-09.12.2026, г.Астрахань, ул. Ляхова, д.7, кв.47
|
|
|
С-к-117 |
ул. Звездная, 51, кор. 1 |
павильон |
реализация продовольственных товаров |
круглогодично |
||
|
С-к-118 |
ул. Н. Островского, 158, кор. 1 |
павильон |
реализация продовольственных товаров |
круглогодично |
||
|
С-к-119 |
ул. Боевая, 74 |
павильон |
реализация продовольственных товаров |
круглогодично |
ИП Султанов Р.Д., срок: 25.04.2020-25.04.2027, г.Астрахань, ул.Энергетическая, д.19, кв.5 |
|
|
С-к-120 |
ул. Звездная, 3, кор.1 |
павильон |
реализация продовольственных товаров |
круглогодично |
||
|
С-к-121 |
ул. Н. Островского, 111 |
павильон |
услуги общественного питания |
круглогодично |
ООО «Асторгсервис» Срок: 11.06.2025- 11.06.2032 г. Астрахань, пер. Трудовой, д. 1 |
|
|
С-к-122 |
ул. Бэра, 47 «б» |
павильон |
реализация непродовольственных товаров |
круглогодично |
ООО "Диа-лайт" срок с 28.07.2020-28.07.2027, г.Астрахань, ул.Н.Островского, д.62, кв.12 |
|
|
С-к-123 |
ул. Звездная, 57б |
павильон |
реализация продовольственных товаров |
круглогодично |
ИП Ширяева О.А., срок: 26.10.2023-26.10.2030, г. Астрахань, ул. Б. Алексеева, 67 |
|
|
С-к-124 |
ул. Ахшарумова, 78 |
павильон |
реализация цветов |
круглогодично |
||
| С-к-125 | ул. Боевая, 74 | павильон | реализация продовольственных товаров | круглогодично | ||
| С-к-126 | пр. Воробьева, 12 корп.1 | павильон | реализация продовольственных товаров | круглогодично |
ИП Асанова С.К., срок: 22.12.2020-22.12.2027, г.Астрахань, ул.Заводская, 30 |
|
| С-к-127 | ул. Адм. Нахимова, 52 | павильон | реализация продовольственных товаров | круглогодично |
ИП Султанов Р.Д., срок: 25.07.2020 по 25.07.2027, г. Астрахань, ул. Энергетическая, д.19, кв.5 |
|
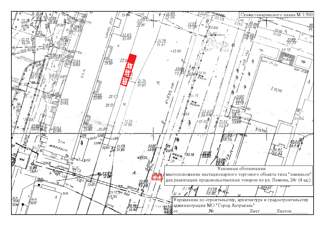
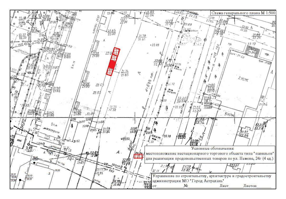
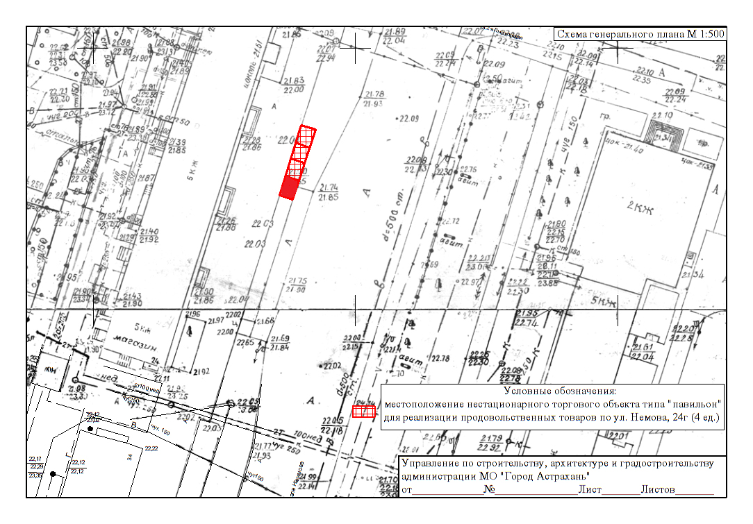
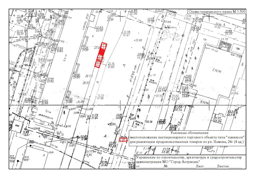
| С-к-128 | ул. Немова, 24г | павильон | реализация продовольственных товаров | круглогодично |
ИП Султанов Р.Д., срок: 25.07.2020 по 25.07.2027, г. Астрахань, ул. Энергетическая, д.19, кв.5 |
|
| С-к-129 |
ул. Н. Островского
|
павильон | реализация лотерейных билетов | круглогодично |
|
|
| С-к-130 |
ул.Наб.Приволжского затона
|
киоск | реализация мороженного, прохладительных напитков | круглогодично |
ИП Идрисов М. В., срок: 19.05.2020-19.05.2027 г. Астрахань, ул. Широкая, 9 |
|
|
С-к-131
|
ул. Адм. Нахимова, 125 | павильон | реализация продовольственных товаров | круглогодично |
ИП Асанова С.К., срок: 06.06.2023-06.06.2030 г. Астрахань, ул. Заводская, 30 |
|
|
С-к-132
|
ул. Немова, 24г | павильон | реализация продовольственных товаров | круглогодично |
|
|
|
С-к-133
|
ул. Немова, 24г | павильон | реализация продовольственных товаров | круглогодично |
ООО "Славица" Срок: 30.10.2023-30.10.2030 Астраханская область, с. Солянка, ул. Магистральная, 28 |
|
|
С-к-134
|
ул. Немова, 24г | павильон | реализация продовольственных товаров | круглогодично |
ТД "Наримановский" Срок: 07.11.2023-07.11.2030 г. Астрахань, ул. Адм. Нахимова, 32 |
|
|
С-к-135
|
ул. Немова, 24г | павильон | реализация продовольственных товаров | круглогодично |
|
|
| С-к-136 |
ул. Рождественского, 20, участок №1 |
павильон | реализация непродовольственных товаров | круглогодично |
ИП Осипова И.В., срок: 19.12.2023-19.12.2030 г. Астрахань, ул. Нариманова,25а |
|
| С-к-137 | ул. Б Хмельницкого/ул.Боевая, 29/51 | киоск | реализация продовольственных товаров | круглогодично |
ИП Анаражабов М.И. срок: 27.11.2019-27.11.2026 г. Астрахань, ул. Цурюпы, 83/17 |
|
| С-к-138 | ул. Н. Островского, 156, корп. 3 | павильон | реализация хлеба, хлебобулочных и кондитерских изделий | круглогодично |
ООО «Асторгсервис» Срок: 11.06.2025- 11.06.2032 г. Астрахань, пер. Трудовой, д. 1 |
|
| С-к-139 | ул. Рождественского, 16в | павильон | реализация ритуальной группы товаров | круглогодично |
ООО "ПРОФСЕРВИС", Срок: 04.08.2023-04.08.2030 г. Астрахань, ул. Рождественского, 23Б, литер А |
|
| С-к-140 | ул. Кубанская, 66 "а" | торговая галерея | реализация продовольственных товаров | круглогодично |
ИП Денисенко С.В. Срок: 04.06.2023-04.06.2030 г. Астрахань, ул. Южная, д. 23, корп. 2, кв. 31 |
|
| С-к-141 | ул. Адмирала Нахимова, 139 | павильон | реализация продовольственных товаров | круглогодично |
|
|
| С-к-142 | ул. Боевая, 72 "д" | павильон | реализация продовольственных товаров | круглогодично |
ИП Мендгалиев А.Н. срок: 27.11.2019-27.11.2026 Астраханская область с. Сизый Бугор ул. Нариманова, 142 |
|
| С-к-143 | пр. Воробьева, 39 | павильон | реализация продовольственных товаров | круглогодично | выкопировка | |
| С-к-144 | ул. Н. Островского, 156 корп. 3 | павильон | реализация продовольственных товаров | круглогодично |
ИП Залиддинов Ч.З. Срок: 30.03.2021-30.03.2028 г. Астрахань, ул. Автономная, 6 |
|
| С-к-145 | пр. Воробьева, 14 | павильон | реализация продовольственных товаров | круглогодично |
ИП Исаева О.Г. Срок:12.07.2021-12.07.2028 г.Астрахань, ул. Куликова,д.58, кв.45 |
|
| С-к-146 | ул. Зеленая/ пер. Уютный, 34 | павильон | реализация непродовольственных товаров | круглогодично | выкопировка | |
| С-к-147 | ул. Наб. Приволжского затона, 13а | киоск | реализация горячих напитков и кондитерских изделий | круглогодично |
ИП Жаде Э.Н. Срок: 20.12.2021-20.12.2028 г. Астрахань, ул. Б.Хмельницкого, д. 38, кв.33 |
|
| С-к-148 | ул. Н. Островского, 146А | павильон | реализация непродовольственных товаров | круглогодично |
|
|
| С-к-149 | ул. Космонавтов, 8б | павильон | реализация продовольственных товаров | круглогодично | выкопировка | |
| С-к-150 | ул. Звездная, 51 корп. 1 | киоск | реализация мороженого | круглогодично |
ООО "Славица" Срок: 25.07.2024- 25.07.2031 Астраханская обл. с. Солянка, ул. Магистральная, 28 |
|
| С-к-151 | ул. Н. Островского, 146б | торговая галерея | реализация непродовольственных товаров | круглогодично |
ИП Богатов О.В. Срок: 07.02.2024-07.02.2031 Астраханская область, Камызякский район, пос. Ревин Хутор, ул. Ленина, д. 47 |
|
| С-к-152 | ул. Адм. Нахимова, 16 | павильон | реализация непродовольственных товаров | круглогодично | выкопировка | |
| С-к-153 | ул. Адм. Нахимова/ул. Верещагина | павильон | реализация продовольственных товаров | круглогодично | выкопировка | |
| С-к-154 | ул. Адм. Нахимова/ул. Владикавказская | торговая галерея | реализация непродовольственных товаров | круглогодично | выкопировка | |
| С-к-155 | ул. Безжонова,159 | павильон | услуги общественного питания | круглогодично |
ИП Антипов Д.Р. Срок: 14.12.2020-14.12.2027 г. Астрахань, ул. Самарская, 15 |
|
| С-к-156 | ул. Адм. Нахимова, 267 «е» | павильон | реализация непродовольственных товаров | круглогодично |
ИП Никулин А.В. Срок: 17.09.2020-17.09.2027 г. Астрахань, ул. Энергетическая, 3 |
|
| С-к-157* | ул. Кубанская, 5 | торгово-остановочный комплекс (павильон с навесом) | реализация продовольственных товаров | круглогодично |
ИП Пономарев А.Я. Срок: 01.05.2022-01.05.2029 г. Астрахань, ул. Цурюпы, д. 13 |
|
| С-к-158 | ул. Космонавтов, 8 | киоск | реализация продовольственных товаров | круглогодично | выкопировка | |
| С-к-159 | ул. Космонавтов, 8 | киоск | реализация продовольственных товаров | круглогодично | ||
| С-к-160* | ул. Звездная, 59* | павильон | реализация продовольственных товаров | круглогодично | ||
| С-к-161* | ул. Звездная, 59 | торговая галерея | реализация продовольственных товаров | круглогодично | ||
| С-к-162 | ул. Адм. Нахимова, 139 | павильон | реализация продовольственных товаров | круглогодично |
ООО "Каспий-аудит" срок: 26.10.2020-26.10.2027 г. Астрахань, ул. Безжонова, 125 |
|
| С-к-163 | ул. Адм. Нахимова, 93/1 | павильон | реализация продовольственных товаров | круглогодично | ||
| С-к-164 | пр. Воробьева, 7 | павильон в составе торговой галереи | реализация продовольственных товаров | круглогодично |
ИП Торосян Г. М. Срок: 20.12.2022- 20.12.2029 ул. Б. Алексеева, д. 36, кв. 52 |
|
| С-к-165 | пр. Воробьева, 7 | павильон в составе торговой галереи | реализация продовольственных товаров | круглогодично |
ИП Гайнулина А.В. Срок: 17.12.2022-17.12.2029 г. Астрахань, ул. Московская, д. 39 |
|
| С-к-166 | пр. Воробьева, 7 | павильон в составе торговой галереи | реализация непродовольственных товаров | круглогодично | выкопировка | |
| С-к-167 | ул. Ялинская | павильон | реализация продовольственных товаров | круглогодично | выкопировка | |
| С-к-168 | ул. Зеленая | павильон | реализация продовольственных товаров | круглогодично | выкопировка | |
| С-к-169 | ул. Адм. Нахимова, 40 | павильон | реализация цветов | круглогодично |
ИП Рассказова Н.Р. срок: 08.12.2020-08.12.2027 г. Астрахань, ул. Звездная,7, корп. 3, кв. 81 |
|
| С-к-170 | ул. Сахалинская | павильон | реализация продовольственных товаров | круглогодично |
ИП Полякова Н.Г. Срок: 17.12.2022-17.12.2029 Астраханская область, Приволжский район, с Карагали, ул. Народная, д. 12 |
|
| С-к-171 | ул. Н. Островского, 66г | павильон | реализация непродовольственных товаров | круглогодично |
ИП Фишер Т.Б. Срок:12.07.2021-12.07.2028 г. Астрахань, ул. Минусинская, д.2, кв.8 |
|
| С-к-172 | ул. Боевая, 51е | павильон в составе торговой галереи | реализация продовольственных товаров | круглогодично | ||
| С-к-173 | ул. Боевая, 51е | павильон в составе торговой галереи | реализация продовольственных товаров | круглогодично | ||
| С-к-174 | ул. Боевая, 51е | павильон в составе торговой галереи | реализация продовольственных товаров | круглогодично | ||
| С-к-175 | ул. Звездная, 41 корп. 1 | павильон | реализация продовольственных товаров | круглогодично | ||
| С-к-176 | ул. Адм. Нахимова, 267 | павильон | реализация непродовольственных товаров | круглогодично |
ИП Асратян А.Л. Срок:13.07.2021-13.07.2028 г. Астрахань, ул. Солнечная, д.14 |
|
| С-к-177 | пр. Воробьева, 9 | павильон | реализация продовольственных товаров | круглогодично |
ИП Абубикеров Р.И. Срок:12.07.2021-12.07.2028 Астраханская область, г. Камызяк, ул. Красная Набережная, д.75, кв.2 |
|
| С-к-178 | пр. Воробьева, 9 | павильон | реализация продовольственных товаров | круглогодично |
ИП Мендгалиев А.Н. Срок:14.07.2021-14.07.2028 Астраханская область, с.Сизый Бугор, ул. Нариманова,д.142 |
|
| С-к-179 | ул. Кубанская, 66 | павильон | реализация продовольственных товаров | круглогодично |
ИП Исаева О.Г. Срок:12.07.2021-12.07.2028 г. Астрахань, ул. Куликова, д.58, кв.45 |
|
| С-к-180 | ул. Н. Островского, 160 | павильон | реализация продовольственных товаров | круглогодично |
ИП Исаева О.Г. Срок:12.07.2021-12.07.2028 г. Астрахань, ул. Куликова, д.58, кв.45 |
|
| С-к-181 | ул. Наб. Прив. Затона/ул. Донецкая, 39/1 | торговая галерея | реализация продовольственных товаров | круглогодично |
ИП Мыгыева В.Ю. Срок: 20.12.2021-20.12.2028 г. Астрахань, ул. Бертюльская, д. 5, кв. 37
|
|
| С-к-182 | ул. Дубровинского, 54 | павильон | реализация продовольственных товаров | круглогодично |
ИП Науанов А.А Срок: 01.05.2022-01.05.2029 Астраханская область, г. Камызяк, ул. Береговая, д. 8, корп. А |
|
| С-к-183 | 9-й переулок, 18 | павильон | реализация продовольственных товаров | круглогодично |
|
|
| С-к-184 | ул. Кабардинская, 40 | торговая галерея | реализация непродовольственных товаров | круглогодично | выкопировка | |
| С-к-185 | ул. Н. Островского, 160 | павильон | реализация продовольственных товаров | круглогодично |
ИП Абубикеров Р.И. Срок: 05.07.2022-05.07.2029 АО, г. Камызяк, ул.Красная Набережная. д. 75, кв. 2 |
|
| С-к-186 | ул. Н. Островского, 160/2 | павильон | реализация продовольственных товаров | круглогодично |
ИП Измайлов И.М. Срок: 05.06.2023-05.06.2030 АО, Приволжский район, с. Осыпной Бугор, ул. Тукая, д. 3 выкопировка |
|
| С-к-187 | ул. Луконина, 9а | павильон | реализация продовольственных товаров | круглогодично | выкопировка | |
| С-к-188 | ул. Кубанская, 70 | киоск | реализация кондитерских изделий | круглогодично |
ИП Бердеева А.Р. Срок: 06.06.2023-06.06.2030 г. Астрахань, ул. Сен-Симона, д. 42, корп. 4, кв. 29А |
|
| С-к-189 | ул. Звездная, 41а | павильон | реализация продовольственных товаров | круглогодично |
ИП Кожинская Н.В. Срок: 20.09.2022-20.09.2029 ул. Кубанская, д. 66, кв. 52 |
|
| С-к-190 | ул. Космонавтов, 12А | павильон | реализация продовольственных товаров | круглогодично | выкопировка | |
| С-к-191 | ул. Ялинская/ул. Зеленая | торговая галерея | реализация непродовольственных товаров | круглогодично | выкопировка | |
| С-к-192 | ул. Ялинская/ул. Зеленая | торговая галерея | реализация непродовольственных товаров | круглогодично | выкопировка | |
| С-к-193 | ул. Рождественского | павильон | реализация непродовольственных товаров | круглогодично | выкопировка | |
| С-к-194 | ул. Кубанская, 31/ул. Звездная, 1 | павильон | реализация продовольственных товаров | круглогодично |
|
|
| С-к-195 | ул. Н. Островского, 154 | павильон | реализация продовольственных товаров | круглогодично |
ИП Наранов П.Г. Срок: 03.06.2023-03.06.2030 АО, Лиманский р-он, пос. Лиман, ул. Героев, д. 318 |
|
| С-к-196 | пр. Воробьева, 12 литер Б | павильон | реализация продовольственных товаров | круглогодично |
ИП Ломова Т.П. Срок:25.07.2024- 25.07.2031 АО, Красноярский район, пос. Бузан, ул. Трудовая, 10 |
|
| С-к-197 | ул. Н. Островского, 160 | павильон | реализация продовольственных товаров | круглогодично | выкопировка | |
| С-к-198 | ул. Немова, 34 | павильон | реализация непродовольственных товаров | круглогодично | ||
| С-к-199 | ул. 1-я Литейная, 83 | павильон (не более 20 кв.м) | реализация продовольственных товаров | круглогодично | ||
| С-к-200 | ул. Звездная, 59а/1 | павильон | реализация непродовольственных товаров | круглогодично | ||
| С-к-201 | ул. Адм. Нахимова, 38 | павильон | реализация продовольственных товаров | круглогодично |
ООО «Нод-Астра" Срок: 21.10.2023- 21.10.2030 г. Астрахань, ул. Безжонова, д. 125 |
|
| С-к-202 | ул. Н. Островского, 162 (на остановке общественного транспорта) | павильон | реализация продовольственных товаров | круглогодично |
ИП Хабибулин Р.Ш. Срок: 06.02.2024-06.02.2031 г. Астрахань, ул. Боевая, д. 38, кв. 7 |
|
| С-к-203 | ул. 1-я Котельная | торговая галерея | услуги по обслуживанию автотранспорта | круглогодично | ||
| С-к-204 | ул. Боевая, 25 | киоск | реализация напитков, кондитерских изделий | круглогодично |
|
|
| С-к-205 | ул. Кубанская, 66 | торговая галерея | реализация продовольственных товаров | круглогодично | ||
| С-к-206 | . ул. Набережная Приволжского затона, 13 лит А | павильон | услуги общественного питания | круглогодично |
ИП Алиева Ф.Х. Срок: 16.06.2025-16.06.2032 г. Астрахань, ул. Звездная, д. 3, корп. 4, кв. 25 |
|
| С-к-207 | Амурский бульвар | павильон | услуги общественного питания | круглогодично | выкопировка | |
| С-к-208 | ул. 2-я Игарская, 19 | павильон | реализация продовольственных товаров | круглогодично | ||
| С-к-209 | ул. Кубанская, 29а | павильон | реализация бытовых услуг | круглогодично | ||
| С-к-210 | ул. Звездная, 11а | торговая галерея | услуги по обслуживанию автотранспорта | круглогодично |
|
|
| С-к-211 | ул. Звездная, 11а | торговая галерея | услуги по обслуживанию автотранспорта | круглогодично |
|
|
| С-к-212 | ул. Звездная, 11а | торговая галерея | услуги по обслуживанию автотранспорта | круглогодично |
|
|
| С-к-213 | ул. Звездная, 11а | торговая галерея | услуги по обслуживанию автотранспорта | круглогодично |
|
|
| С-к-214 | ул. Звездная, 11а | торговая галерея | услуги по обслуживанию автотранспорта | круглогодично |
|
|
| С-к-215 | ул. Звездная, 11а | торговая галерея | услуги по обслуживанию автотранспорта | круглогодично | выкопировка | |
| С-к-216 | ул. Звездная, 11а | торговая галерея | услуги по обслуживанию автотранспорта | круглогодично | выкопировка | |
| С-к-217 | ул. Звездная, 11а | торговая галерея | услуги по обслуживанию автотранспорта | круглогодично | выкопировка | |
| С-к-218 | ул. Звездная, 11а | торговая галерея | услуги по обслуживанию автотранспорта | круглогодично | выкопировка | |
| С-к-219 | ул. Звездная, 11а | торговая галерея | услуги по обслуживанию автотранспорта | круглогодично | выкопировка | |
| С-к-220 | ул. Звездная, 11а | торговая галерея | услуги по обслуживанию автотранспорта | круглогодично | выкопировка | |
| С-к-221 | ул. Звездная, 11а | торговая галерея | услуги по обслуживанию автотранспорта | круглогодично | выкопировка | |
| С-к-222 | ул. Звездная, 11а | торговая галерея | услуги по обслуживанию автотранспорта | круглогодично | выкопировка | |
| С-к-223 | ул. Рождественского, 2Б/6 | торговая галерея | услуги общественного питания | круглогодично | ||
| С-к-224 | ул. Луконина, 10 к.2 | павильон | реализация хлебобулочной продукции | круглогодично | ||
| С-к-225 | ул. Кубанская, 5/3 | торговая галерея | услуги общественного питания | круглогодично | ||
| С-к-226 | ул. Звездная, 51 к1 | павильон | реализация продовольственных товаров | круглогодично |
ИП Войнова А.В. Срок: 11.06.2025-11.06.2032 г. Астрахань, ул. Адм. Нахимова, д. 137, кв. 105 |
|
| С-к-227 | ул. Н. Островского, 162 | павильон | услуги общественного питания | круглогодично | ||
| С-к-228 | ул. Джона Рида, 43 | павильон | услуги общественного питания | круглогодично | ||
| С-к-229 | ул. Набережная Приволжского затона, 67 | павильон | услуги общественного питания | круглогодично |
ИП Савкатов З.Р. Срок: 11.09.2025-11.09.2032 г. Астрахань, ул. Куликова, д. 62, корп.1, кв. 15 |
|
| С-к-230 | ул. Боевая, 72а | павильон | реализация напитков и продуктов питания | круглогодично | ||
|
Реализация колбасных изделий |
||||||
|
С-к-231 |
пр. Воробьева,14 |
павильон |
реализация колбасных изделий |
круглогодично |
ИП Мендгалиев А.Н. Срок:14.07.2021-14.07.2028 Астраханская область, Володарский район, с. Сизый Бугор, ул. Нариманова, д.142 |
|
|
Реализация хлеба, хлебобулочных изделий |
||||||
|
С-к-232 |
ул. Н. Островского, 66, кор. 2 |
павильон |
реализация хлеба, хлебобулочных изделий |
круглогодично |
ООО ТД «Наримановский», Срок: с 25.10.2019 по 25.10.2026, г. Астрахань, ул. Адм. Нахимова, 32 |
|
|
С-к-233 |
ул. Власова/Ген. Епишева, 2/18 |
киоск |
реализация хлеба, хлебобулочных изделий |
круглогодично |
ООО ТД «Наримановский», Срок: 26.10.2020-26.10.2027, г. Астрахань, ул. Адм. Нахимова, 32 |
|
|
С-к-234 |
ул. Немова, 24 "г" |
автолавка |
реализация хлеба, хлебобулочных изделий |
круглогодично |
ИП Давыдов А.В. срок: 24.12.2019 по 24.12.2026, Астраханская область, Камызякский район, с.Чаган, ул. Гагарина, д.1 |
|
|
С-к-235 |
ул. Н. Островского, 154 |
киоск |
реализация хлеба, хлебобулочных изделий |
круглогодично |
ООО ТД «Наримановский», Срок: 26.10.2020-26.10.2027, г. Астрахань, ул. Адм. Нахимова, 32 |
|
|
С-к-236 |
ул. Космонавтов, 8, кор.3 |
автолавка |
реализация хлеба, хлебобулочных изделий |
круглогодично |
||
|
С-к-237 |
ул. Звездная, 3, кор.1 |
автолавка |
реализация хлеба, хлебобулочных изделий |
круглогодично |
||
|
С-к-238 |
ул. Н. Островского, 156, кор.3 |
павильон |
реализация хлеба, хлебобулочных изделий |
круглогодично |
ИП Миришов Р.И.-о. срок: 09.09.2020-09.09.2027 г. Астрахань, ул. Боевая, 83 |
|
|
С-к-239 |
ул. Космонавтов, 5 |
павильон |
реализация хлеба, хлебобулочных изделий |
круглогодично |
ИП Миришов Р.И.-о. срок: 09.09.2020-09.09.2027 г. Астрахань, ул. Боевая, 83 |
|
| С-к-240 | ул. Звездная,1/ул.Кубанская,33 | киоск | реализация хлеба, хлебобулочных изделий | круглогодично |
|
|
| С-к-241 | ул. Луговая/пер. Девятый, 16 | павильон | реализация хлеба, хлебобулочных изделий | круглогодично | ||
| С-к-242 | ул. Кубанская, 66/2 | павильон | реализация хлеба, хлебобулочных изделий | круглогодично |
ИП Миришов Р.И.-о. Срок:15.07.2021-15.07.2028 г. Астрахань, ул. Боевая, д.83, к.2, кв.42 |
|
| С-к-243 | ул. М. Луконина, 9 | павильон | реализация хлеба, хлебобулочных изделий | круглогодично | ||
| С-к-244 | пр. Воробьева, 7 | павильон в составе торговой галереи | реализация хлеба, хлебобулочных изделий | круглогодично |
|
|
| С-к-245 | ул. Александрова, 9 | павильон | реализация хлеба, хлебобулочных изделий | круглогодично |
ИП Нигматуллин Р.Н. Срок: 30.03.2021-30.03.2028 г. Астрахань, ул. Курмангазы,7 |
|
| С-к-246 | ул. Бэра/Б. Хмельницкого, 51 | павильон | реализация хлеба, хлебобулочных изделий | круглогодично |
ООО Торговый дом "Наримановский" Срок: 29.09.2021-29.09.2028, г. Астрахань, ул. Адмирала Нахимова, 32 |
|
| С-к-247 | ул. Звездная, 49/1 | павильон | реализация хлеба, хлебобулочных изделий | круглогодично |
|
|
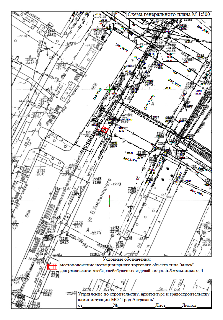
| С-к-248 | ул. Б. Хмельницкого, 4 | киоск | реализация хлеба, хлебобулочных изделий | круглогодично | выкопировка | |
| С-к-249 | ул. Кубанская, 27/а/1 | павильон | реализация хлеба, хлебобулочных изделий | круглогодично | ||
| С-к-250 | ул. Боевая, 66а/1 | павильон | реализация хлеба, хлебобулочных изделий | круглогодично |
ИП Миришов Р.И.о. Срок: 07.02.2024- 07.02.2031 г. Астрахань, ул. Донбасская, д. 3,кв. 80 |
|
| С-к-251 | ул. М. Луконина, 7Б/1 | павильон | реализация хлеба, хлебобулочных изделий | круглогодично | ||
| С-к-252 | ул. Боевая, 85/1 | павильон | реализация хлебобулочных изделий | круглогодично | ||
| С-к-253 | ул. Дубровинского, 54 | киоск | реализация хлеба, хлебобулочных изделий | круглогодично | ||
| С-к-254 | ул. Кубанская, 27/а/1 | павильон | реализация хлеба, хлебобулочных изделий | круглогодично | ||
|
Реализация мучных, кулинарных и кондитерских изделий, прохладительных напитков, мороженого |
||||||
|
С-к-255 |
ул. Н. Островского, 66, кор. 2 |
киоск |
реализация мучных, кулинарных и кондитерских изделий |
круглогодично |
||
|
С-к-256 |
ул. Адм. Нахимова, 113 |
киоск |
реализация мучных, кулинарных и кондитерских изделий |
круглогодично |
||
|
С-к-257 |
пр.Воробьева, 14 |
павильон |
реализация мучных, кондитерских изделий |
круглогодично |
Торговый дом "Наримановский" . срок: 14.06.2019-14.06.2026, г. Астрахань, ул. Адмирала Нахимова, 32 |
|
|
С-к-258 |
пер. Седьмой (район остановки) |
павильон |
реализация мучных, кулинарных и кондитерских изделий, прохладительных напитков, мороженого |
круглогодично |
||
|
С-к-259 |
ул. Рождественского, 2 |
киоск |
реализация мучных, кулинарных и кондитерских изделий, прохладительных напитков, мороженого |
круглогодично |
||
| С-с-260 | пр. Воробьева, 12 корп. 2 | автолавка | реализация мучных, кулинарных и кондитерских изделий |
круглогодично с периодом функционирования весна-осень |
выкопировка | |
| С-с-261 | ул. Н. Островского, 166 | автолавка | реализация мучных, кулинарных и кондитерских изделий |
круглогодично с периодом функционирования весна-осень |
выкопировка | |
| С-с-262 | ул. Звездная, 57 корп. 3 | автолавка | реализация мучных, кулинарных и кондитерских изделий |
круглогодично с периодом функционирования весна-осень |
выкопировка | |
| С-к-263 | ул. Сабанс Яр, 11 | киоск | реализация мучных, кулинарных и кондитерских изделий, прохладительных напитков | круглогодично | ||
| С-к-264 | ул. Адм. Нахимова, 60 | павильон | реализация мучных, кулинарных и кондитерских изделий | круглогодично | выкопировка | |
| С-к-265 | ул. Адм. Нахимова, 135 | павильон | реализация мучных, кулинарных и кондитерских изделий | круглогодично | выкопировка | |
| С-к-266 | ул. Немова, 34 | павильон | реализация мучных, кулинарных и кондитерских изделий | круглогодично | выкопировка | |
| С-к-267 | ул. Наб. Прив. Затона, 13А | автолавка | реализация мучных, кулинарных и кондитерских изделий, напитков | круглогодично | ||
| С-к-268 | ул. Кубанская, 23Б | павильон | реализация мучных, кулинарных и кондитерских изделий | круглогодично | ||
| С-к-269 | ул. Н. Островского , 146б | павильон | реализация хлебобулочных и кондитерских изделий | круглогодично | ||
| С-к-270 | ул. Адмирала Нахимова, 125 | павильон | реализация хлебобулочных и кондитерских изделий | круглогодично |
ИП Демедюк И.М. Срок: 16.06.2025-
16.06.2032
Астраханская область, Наримановский район, п. Тинаки 2-ые, ул. Курортная 1-я, д. 2а, кв. 1 |
|
| С-к-271 | ул. Звездная, 51 | павильон | реализация кулинарных изделий | круглогодично | ||
|
Реализация яйца куриного, мяса птицы |
||||||
|
С-к-272 |
ул. Космонавтов, 8, корп. 2 |
киоск |
реализация яйца куриного, мяса птицы |
круглогодично |
||
|
Реализация молочной продукции |
||||||
|
С-к-273 |
ул. Н. Островского, 160 |
киоск |
реализация молочной продукции |
круглогодично |
ИП Джубанишева Р.А., Срок: 20.07.2019-20.07.2026, Астраханская обл., Наримановский р-н, с. Старокучергановка, ул.Чкалова, 45в |
|
|
С-к-274 |
ул. Боевая, 72 "б" |
киоск |
реализация молочной продукции |
круглогодично |
ИП Джафарова Х.А.к. срок: 09.09.2020-09.09.2027 г. Астрахань, ул. Дубровинского, 38 |
|
| С-к-275 | пр. Воробьева, 12, кор. 1 | автолавка | реализация молочной продукции | круглогодично | выкопировка | |
| С-к-276 | ул. Боевая, 53а | автолавка | реализация молочной продукции | круглогодично | ||
| С-к-277 | ул. Кубанская, 66 | павильон | реализация молочной продукции | круглогодично | ||
| С-к-278 | ул. Власова/ул. Генерала Армии Епишева, 2/18 | павильон |
реализация молочной продукции |
круглогодично |
ИП Исаева О.Г. Срок: 01.05.2022-01.05.2029 г. Астрахань, ул. 11-й Красной Армии, уч-к 21 |
|
| С-к-279 | ул. Н. Островского, 156 корп. 3 | павильон |
реализация молочной продукции |
круглогодично |
ИП Исаева О.Г. Срок: 20.11.2023-20.11.2030 г. Астрахань, ул. 11-й Красной Армии, уч-к 21 |
|
|
Реализация овощей, фруктов |
||||||
|
С-к-280 |
ул. Южная, 25 |
спец. машина |
реализация овощей, фруктов |
круглогодично |
|
|
|
С-к-281 |
ул. Н. Островского, 66 |
павильон |
реализация овощей, фруктов |
круглогодично |
ИП Атаева Э.Н.к., Срок: 02.08.2019-02.08.2026, г.Астрахань, ул.3-я Апрельская, 14 |
|
|
С-к-282 |
ул. Адм. Нахимова, 139 |
киоск |
реализация овощей, фруктов |
круглогодично |
||
| С-к-283 | ул.Власова/Ген.Епишева, 2/18 | павильон | реализация овощей, фруктов | круглогодично |
ИП Атаев А.А.о., Срок: 07.02.2023-07.02.2030, г. Астрахань, ул. Апрельская, 14 |
|
| С-к-284 | ул. Н. Островского, 154 "г" | автолавка | реализация овощей, фруктов | круглогодично | выкопировка | |
| С-к-285 | ул. Звездная, 47/49 | киоск | реализация овощей, фруктов | круглогодично |
|
|
| С-к-286 | ул. Южная, 23 корп. 1 | павильон | реализация овощей, фруктов | круглогодично |
ИП Исаев Н.З.О. Срок: 20.12.2021-20.12.2028 г. Астрахань, ул. 9-я Литейная, д. 33/13, кв.2 |
|
| С-к-287 | ул. Александрова, 9 | киоск | реализация овощей, фруктов | круглогодично |
ООО "Денис-Балам" Срок:15.07.2021-15.07.2028 г. Астрахань, ул. Затонская, д.28 |
|
| С-к-288 | ул. Космонавтов, 6 | павильон | реализация овощей, фруктов | круглогодично | выкопировка | |
| С-к-289 | ул. Н. Островского, 154 | павильон | реализация овощей, фруктов | круглогодично |
ИП Наранов П.Г. Срок: 01.06.2022-01.06.2029 АО, Лиманский р-он, пос. Лиман, ул. Героев, д. 318 |
|
| С-с-290 | ул. Затонская, 28 | автолавка | реализация овощей, фруктов | круглогодично
периодом функционирования лето - осень |
||
| С-к-291 | ул. Немова, 24г | павильон | реализация овощей, фруктов | круглогодично | выкопировка | |
| С-к-292 | ул. Адм. Нахимова, 122а | павильон | реализация овощей, фруктов | круглогодично | выкопировка | |
| С-к-293 | ул. Адм. Нахимова, 122А/5 | павильон | реализация овощей, фруктов | круглогодично |
ИП Исмаилов П.Г.-О. Срок: 20.10.2023-20.10.2030 г. Астрахань, ул. Немова, д. 18, кв. 15 |
|
| С-к-294 | ул. Боевая, 83 корп. 2 | павильон | реализация овощей, фруктов | круглогодично |
ИП Намазова Х.К.К. Срок: 03.06.2023-03.06.2030 г. Астрахань, пер. Литейный, д. 10 |
|
| С-к-295 | ул. Адмирала Нахимова, 269б | павильон |
реализация овощей, фруктов |
круглогодично |
ИП Ахмедов Ш.Ю.О. Срок: 11.06.2025-11.06.2032 Смоленская область, Руднянский район, д. Гранки, ул. 40 лет Октября, д. 14 |
|
|
Реализация бахчевой продукции |
||||||
|
С-с-296 |
ул. Н. Островского, 60 "п" |
арбузник |
реализация бахчевой продукции |
круглогодично с периодом функционирования лето - осень |
|
|
|
С-с-297 |
ул. Н. Островского, 66, кор. 2 |
арбузник |
реализация бахчевой продукции |
круглогодично с периодом функционирования лето - осень |
|
|
|
С-с-298 |
ул. Космонавтов, 8 "а" |
арбузник |
реализация бахчевой продукции |
круглогодично с периодом функционирования лето - осень |
||
|
С-с-299 |
ул. Немова, 24 "д" |
арбузник |
реализация бахчевой продукции |
круглогодично с периодом функционирования лето - осень |
|
|
|
С-с-300 |
ул. Б. Хмельницкого, 2 |
арбузник |
реализация бахчевой продукции |
круглогодично с периодом функционирования лето - осень |
||
|
С-с-301 |
ул. Александрова, 6 |
арбузник |
реализация бахчевой продукции |
круглогодично с периодом функционирования лето - осень |
||
|
С-с-302 |
пер.Девятый, 16 |
арбузник |
реализация бахчевой продукции |
круглогодично с периодом функционирования лето - осень |
||
|
С-с-303 |
ул. Адм. Нахимова, 207 |
арбузник |
реализация бахчевой продукции |
круглогодично с периодом функционирования лето - осень |
|
|
|
С-с-304 |
ул. Безжонова, 101 "а" |
арбузник |
реализация бахчевой продукции |
круглогодично с периодом функционирования лето - осень |
||
| С-с-305 | ул. Власова, 4 | арбузник | реализация бахчевой продукции |
круглогодично с периодом функционирования лето - осень |
||
|
Реализация деревьев хвойных пород |
||||||
|
С-с-306 |
ул. Н. Островского, 66 |
елочный базар |
реализация натуральных хвойных деревьев и веток хвойных деревьев |
круглогодично с периодом функционирования зима |
|
|
|
С-с-307 |
ул. Звездная,1/ул. Кубанская, 33 |
елочный базар |
реализация натуральных хвойных деревьев и веток хвойных деревьев |
круглогодично с периодом функционирования зима |
||
|
С-с-308 |
ул. 1-я Литейная , 83 |
елочный базар |
реализация натуральных хвойных деревьев и веток хвойных деревьев |
круглогодично с периодом функционирования зима |
||
|
С-с-309 |
ул. Александрова, 6м |
елочный базар |
реализация натуральных хвойных деревьев и веток хвойных деревьев |
круглогодично с периодом функционирования зима |
||
|
С-с-310 |
ул. Звездная, 57/1 |
елочный базар |
реализация натуральных хвойных деревьев и веток хвойных деревьев |
круглогодично с периодом функционирования зима |
||
|
С-с-311 |
ул. Адм. Нахимова, 95 |
елочный базар |
реализация натуральных хвойных деревьев и веток хвойных деревьев |
круглогодично с периодом функционирования зима |
||
|
С-с-312 |
ул. Б. Хмельницкого, 2а |
елочный базар |
реализация натуральных хвойных деревьев и веток хвойных деревьев |
круглогодично с периодом функционирования зима |
||
|
С-с-313 |
ул. Пороховая, 10 |
елочный базар |
реализация натуральных хвойных деревьев и веток хвойных деревьев |
круглогодично с периодом функционирования зима |
||
|
С-с-314 |
ул. Н. Островского, 146 б |
елочный базар |
реализация натуральных хвойных деревьев и веток хвойных деревьев |
круглогодично с периодом функционирования зима |
|
|
|
С-с-315 |
ул. Космонавтов, 1а |
елочный базар |
реализация натуральных хвойных деревьев и веток хвойных деревьев |
круглогодично с периодом функционирования зима |
||
|
С-с-316 |
ул. Боевая, 53 б |
елочный базар |
реализация натуральных хвойных деревьев и веток хвойных деревьев |
круглогодично с периодом функционирования зима |
|
|
|
С-с-317 |
пр. Воробьева, 9 |
елочный базар |
реализация натуральных хвойных деревьев и веток хвойных деревьев |
круглогодично с периодом функционирования зима |
|
|
РАЗДЕЛ 2
Нестационарные торговые объекты, расположенные
на земельных участках, в зданиях, строениях и сооружениях,
находящихся в государственной собственности
|
№ |
Адрес нестационарного торгового объекта |
Вид нестационарного торгового объекта |
Специализация нестационарных торговых объектов |
Период размещения нестационарного торгового объекта |
Наименование и адрес регистрации хозяйствующего субъекта |
|
С-к-318 |
ул. Бэра/Бежецкая, 47а/20, помещение № 1, комната № 2 (вестибюль), первый этаж, литер А (здание ОГУ СОМУ ДО "Школа высшего спортивного мастерства") |
торговый автомат |
реализация горячих, холодных напитков |
круглогодично |
|
|
С-к-319 |
ул. М. Луконина, 6, помещение № 1, комната № 2 (коридор) первый этаж, литер А (ГАУ АО «Центр развития спортивной инфраструктуры») |
торговый автомат |
розлив и реализация кофе |
круглогодично |
|
|
С-к-320 |
ул. М. Луконина, 6, помещ. № 1, комната № 2 (коридор), первый этаж, литер А (ГАУ АО «Центр развития спортивной инфраструктуры») |
торговый автомат |
реализация закуски |
круглогодично |
|
|
С-к-321 |
ул. Н. Островского, 147, помещение № 1, комната № 1 (тамбур), первый этаж, литер А (здание АУ АО "Спорткомплекс "Звездный") |
торговый автомат |
розлив и реализация кофе |
круглогодично |
|
|
С-к-322 |
ул. Адм. Нахимова, 133, комната № 3 (холл), первый этаж, литер А1 (здание ГБУЗ АО "Областной кардиологический диспансер") |
торговый автомат |
реализация медицинских бахил |
круглогодично |
|
|
С-к-323 |
ул. Боевая, 61, помещение № 1а, комната № 1а (тамбур), первый этаж, литер А (здание ГБУЗ АО Медицинский центр "Пластическая хирургия и косметология") |
торговый автомат |
реализация медицинских бахил |
круглогодично |
|
|
С-к-324 |
ул. Адм. Нахимова, 135, помещ. № 2, комната № 11 (подсобная), первый этаж, литер А (здание ГБУЗ АО "Городская поликлиника № 3") |
торговый автомат |
реализация медицинских бахил |
круглогодично |
|
|
С-к-325 |
ул. Адм. Нахимова, 135, помещ.№ 2, комната № 2 (тамбур), первый этаж, литер А (здание ГБУЗ АО "Городская поликлиника № 3") |
торговый автомат |
реализация медицинских бахил |
круглогодично |
|
|
С-к-326 |
ул. Боевая/Ахшарумова, 45/8, помещ. № 65, комната 59 (тамбур), первый этаж, литер А (здание ГБУЗ АО "Городская поликлиника № 3") |
торговый автомат |
реализация медицинских бахил |
круглогодично |
|
|
С-к-327 |
ул. Б. Хмельницкого/ Боевая, 34/49 (поликлиническое отделение № 1 ГБУЗ АО "Городская поликлиника № 3") |
торговый автомат |
реализация медицинских бахил |
круглогодично |
|
|
С-к-328 |
ул. М. Луконина, 12 к. 3, помещ. № 81, комната № 22 (вестибюль),первый этаж, литер А (здание ГБУЗ АО "Городская поликлиника № 1") |
торговый автомат |
реализация медицинских бахил |
круглогодично |
|
|
С-к-329 |
ул. Н. Островского, д. 111 (земельный участок из категории земель населенных пунктов, кадастровый номер 30:12:03 0791:1449) |
торговый павильон |
ремонт техники, услуги ксерокопии, распечатки |
круглогодично |
|
|
С-к-330 |
ул. Ахшарумова, 82, помещение № 2, комната № 3 (вестибюль), первый этаж, литер Г (новое помещение роддома ГБУЗ АО "Клинический родильный дом") |
торговый автомат |
реализация кофе и кофейных напитков |
круглогодично |
|
|
С-к-331 |
ул. Ахшарумова, 82, помещение № 2, комната № 3 (вестибюль), первый этаж, литер Г (новое помещение роддома ГБУЗ АО "Клинический родильный дом") |
торговый автомат |
реализация мучных изделий |
круглогодично |
|
|
С-к-332 |
ул. Боевая, д. 65, корп. 2, помещение 001, комната № 2 (вестибюль), первый этаж, литер А (женская консультация ГБУЗ АО "Клинический родильный дом") |
торговый автомат |
реализация кофе и кофейных напитков |
круглогодично |
|
|
С-к-333 |
ул. Боевая, д. 65, корп. 2, помещение 001, комната № 2 (вестибюль), первый этаж, литер А (женская консультация ГБУЗ АО "Клинический родильный дом") |
торговый автомат |
реализация мучных изделий |
круглогодично |
|
|
С-к-334 |
ул. Звездная, д. 57, корп. 4, помещение № 1, комната № 1 (регистратура), первый этаж, литер Б (здание ГБУЗ АО "Городская поликлиника № 1") |
торговый автомат |
реализация медицинских бахил |
круглогодично |
|
|
С-к-335 |
ул. Б. Хмельницкого, д.55, помещение 001, комната № 6, первый этаж, литер А (здание ГБУЗ АО "Городская поликлиника№ 1") |
торговый автомат |
реализация медицинских бахил |
круглогодично |
|
|
С-к-336 |
ул. Н. Островского, 111, комната № 88 (столовая), помещение № 1, второй этаж здания, литер А (здание ГБ "ПОО "Астраханский базовый медицинский колледж") |
прилавок, холодильное оборудование |
реализация мучных, кулинарных изделий и прохладительных напитков |
круглогодично |
|
|
С-к-337 |
ул. Б. Хмельницкого, д. 9, корп. 3, помещение № 1, комната № 6 (вестибюль), первый этаж, литер А (здание ГБУК АО "Астраханский областной научно-методический центр народной культуры") |
прилавок |
реализация сувенирной продукции |
круглогодично |
|
|
С-к-338 |
ул. Адм. Нахимова, д. 133, помещение № 1, комната № 15 (коридор), первый этаж, литер А (здание ГБУЗ АО «Областной кардиологический диспансер») |
торговый аппарат |
реализация снековой продукции |
круглогодично |
|
|
С-к-339 |
ул. Адм. Нахимова, д. 135, помещение № 2, комната № 1 (вестибюль), первый этаж, литер А (здание ГБУЗ АО «Городская поликлиника №3») |
торговый автомат |
реализация снековой продукции |
круглогодично |
|
|
С-к-340 |
ул. Адм. Нахимова, д. 135, помещение № 2, комната № 1 (вестибюль), первый этаж, литер А (здание ГБУЗ АО «Городская поликлиника №3») |
торговый автомат |
реализация медицинских бахил |
круглогодично |
|
|
С-к-341 |
ул. Адм. Нахимова, д. 133, помещение № 1, комната № 15 (коридор), первый этаж, литер А (здание ГБУЗ АО «Областной кардиологический диспансер») |
торговый автомат |
реализация медицинских бахил |
круглогодично |
|
|
С-к-342 |
ул. Боевая/Ахшарумова, 45/8, помещение №65, комната №59 (тамбур), первый этаж, литер А (здание ГБУЗ АО «Городская поликлиника № 3») |
торговый автомат |
реализация снековой продукции |
круглогодично |
|
| С-к-343 | ул. Луконина, 6а, помещение №1, комната №2 (коридор), первый этаж, литер А, (ГУА АО «Центр развития спортивной инфраструктуры») | торговый автомат | реализация медицинских бахил | круглогодично | |
| С-к-344 | ул. Н. Островского, 147, 1 этаж (вестибюль водного центра) | вендинговый автомат | реализация кислородных, оздоровительных коктейлей | круглогодично | |
| С-к-345 | ул. Бэра/Бежецкая, 47а/20 (помещение №1, комната № 2 (вестибюль), первый этаж, литер А (здание ГБУ АО "Региональный центр спортивной подготовки") | торговый автомат | реализация снековой продукции, мороженого, горячих и холодных напитков | круглогодично | |
| С-к-346 | ул. Н. Островского, 119, литер А (штрих), 1 этаж (тамбур) | торговый автомат | реализация медицинских бахил | круглогодично | |
| С-к-347 | ул. Н. Островского, 119, литер А, 1 этаж (тамбур) | автомат по продаже медицинских бахил | реализация медицинских бахил | круглогодично | |
| С-к-348 | ул. Луконина, 6а, помещение №1, комната №2 (коридор), первый этаж, литер А, (здание ГАУ АО "Центр развития спортивной инфраструктуры") | аппарат "Газ-вода" | реализация прохладительных напитков | круглогодично | |
| С-к-349 | ул. Бэра, 47а, помещение №1, комната №2 (вестибюль), первый этаж, литер А | торговый автомат | реализация игрушек | круглогодично | |
| С-к-350 | ул. Адм. Нахимова, 70, литер строение "В" | павильон | реализация кофе | круглогодично | |
| С-к-351 | ул. М. Луконина, 6А, литер А, часть помещения – комнаты № 2 (коридор) в помещении № 1, первый этаж здания ГАУ АО «ЦРСИ» | вендинговый автомат | реализация протеиновых (молочных) коктейлей | круглогодично | |
| С-к-352 | ул. М. Луконина, 6А, литер А, часть помещения – комнаты № 2 (коридор) в помещении № 1, первый этаж (здание ГАУ АО «ЦРСИ») | торговый прилавок | продажа напитков, снеков и выпечки | круглогодично |
РАЗДЕЛ 3
Объекты по оказанию услуг, расположенные на земельных участках, в зданиях и сооружениях, находящихся в муниципальной собственности, а также земельных участках, строениях, сооружениях, государственная собственность на которые не разграничена
СОВЕТСКИЙ РАЙОН
|
||||||||||||||||||||||||||||||||||||||||||||||||||||||||||||||||||||||||||||||||||||||||||||||||||||||||||||||||||||||||||||||||||||||||||||||||||||||||||||||||||||||||||||||||||||||||||||||||||||||||||||||||||||||||||||||||||||||||||||||||||||||||||||||||||||||||||||||
|
|
||||||||||||||||||||||||||||||||||||||||||||||||||||||||||||||||||||||||||||||||||||||||||||||||||||||||||||||||||||||||||||||||||||||||||||||||||||||||||||||||||||||||||||||||||||||||||||||||||||||||||||||||||||||||||||||||||||||||||||||||||||||||||||||||||||||||||||||
|
РАЗДЕЛ 4 Нестационарные торговые объекты, расположенные на земельных участках при наличии заключенного до 1 марта 2015 года, в установленном законом порядке, договора аренды земельного участка на территории города Астрахани для эксплуатации НТО |
|||||
| № | Адрес объекта | Вид объекта по оказанию услуг | Специализация объекта услуг | Период размещения объекта | Наименование |
| С-к-381 | ул. Адм. Нахимова, 46/1 | киоск | услуги по ремонту обуви | круглогодично | выкопировка |
| С-к-382 | ул. М. Луконина 30:12:030105:486 | павильон | реализация продовольственных товаров | круглогодично | выкопировка |
| С-к-383 | ул. Звездная, 3 «а» | павильон | реализация продовольственных товаров | круглогодично | |
*объекты, размещаемые в рамках инвестиционных, концессионных соглашений



